最新釣果情報– category –
-
12 月 25日の釣果情報です。
【釣り人】大和高田市 水本吉洋さん【釣 果】ぐれ 36cm~38cm 2匹 イサキ 37cm~40cm 5匹【釣り方】フカセ釣り 【水 温】18.3度 【海 上】多少波~ナギ 【潮 】下り・速い -
12 月 24日の釣果情報です。
【釣り人】安八郡 高橋弘志さん【釣 果】カワハギ 17.5cm~26cm 10匹 イガミ 41cm 1匹【釣り方】カワハギ釣り 【水 温】18.3度 【海 上】ナギ 【潮 】下り・速い 【釣り人】桜井市 島岡徳宏さん【... -
12 月 23日の釣果情報です。
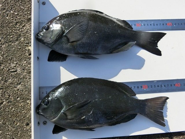
【釣り人】河南町 松井晋太郎さん【釣 果】ハマチ 48.5cm~49.5cm 2匹 ぐれ 30cm~35.5cm 2匹 オジサン 3匹 【釣り方】フカセ釣り【水 温】18.6度 【海 上】ナギ 【潮 】... -
12 月 22日の釣果情報です。
【釣り人】神戸市 高橋保洋さん【釣 果】ぐれ 41.5cm 1匹 尾長 30.5cm 1匹 【釣り方】フカセ釣り【水 温】18.8度 【海 上】ナギ 【 潮 】下り・速い 【釣り人】堺市 打越 透さん【釣 果】尾長 28.7cm 1... -
12 月 21日の釣果情報です。
【釣り人】堺市 打越 透さん【釣 果】ぐれ 37cm~39cm 2匹 【釣り方】フカセ釣り 【水 温】18.8度 【海 上】ナギ 【 潮 】下り・速い 【釣り人】神戸市 高橋保洋さん【釣 果】尾長 25cm~30.5cm 10匹【釣り方】フカ... -
12 月 20日の釣果情報です。
【釣り人】新宮市 鈴木勲夫さん【釣 果】ぐれ 47.5cm 1匹 イガミ 42cm 1匹【釣り方】フカセ釣り 【水 温】19.2度 【海 上】ナギ 【 潮 】下り・速い 【釣り人】東牟婁郡 楠原規利さん 【釣 果... -
12 月 19日の釣果情報です。
【釣り人】香芝市 山本敦史さん ハマチ、目の前で針ハズレ。 【釣 果】アカハタ 27.4cm~37.3cm 4匹 【釣り方】ルアー釣り【水 温】19.2度 【海 上】ナギ 【 潮 】下り・速い 【釣り人】三重郡菰野町 河合喬也さん【釣... -
12 月 18日の釣果情報です。
【釣り人】桜井市 島岡徳宏さん【釣 果】尾長 30cm~32cm 4匹 カワハギ 1匹 【釣り方】フカセ釣り 【水 温】19.2度 【海 上】ナギ 【 潮 】下り・速い 【釣り人】大阪市 福田福田謙一さん 【釣 ...