

【釣り人】安八郡 高橋弘志さん
【釣 果】カワハギ 17.5cm~26cm 10匹
イガミ 41cm 1匹
【釣り方】カワハギ釣り
【水 温】18.3度 【海 上】ナギ 【潮 】下り・速い
【釣り人】桜井市 島岡徳宏さん
【釣 果】尾長 30cm~33cm 3匹
ぐれ 34.5cm~35cm 1匹
カワハギ 28.5cm 1匹
【釣り方】フカセ釣り
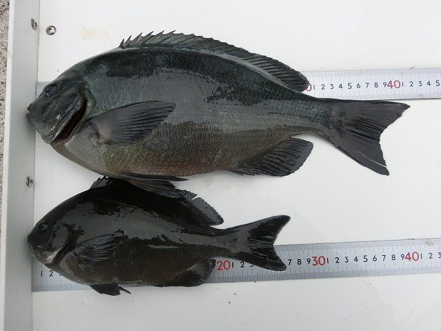
【釣り人】神戸市 高橋保洋さん
【釣 果】ぐれ 41.7cm 1匹
尾長 27cm 1匹
【釣り方】フカセ釣り
