
【釣り人】堺市 打越 透さん
【釣 果】ぐれ 37cm~39cm 2匹
【釣り方】フカセ釣り
【水 温】18.8度 【海 上】ナギ 【 潮 】下り・速い
【釣り人】神戸市 高橋保洋さん
【釣 果】尾長 25cm~30.5cm 10匹
【釣り方】フカセ釣り
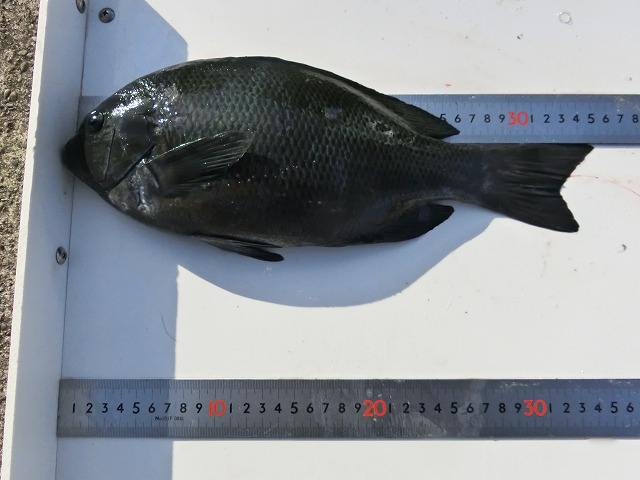
【釣り人】交野市 山岡三郎さん
【釣 果】ぐれ 35.1cm 1匹
【釣り方】フカセ釣り

【釣り人】堺市 打越 透さん
【釣 果】ぐれ 37cm~39cm 2匹
【釣り方】フカセ釣り
【水 温】18.8度 【海 上】ナギ 【 潮 】下り・速い
【釣り人】神戸市 高橋保洋さん
【釣 果】尾長 25cm~30.5cm 10匹
【釣り方】フカセ釣り
【釣り人】交野市 山岡三郎さん
【釣 果】ぐれ 35.1cm 1匹
【釣り方】フカセ釣り