川崎渡船– Author –
-
最新釣果情報
4月 10日の釣果情報です。
【釣り人】宇陀市 勝山常雄さん 【釣 果】尾長 35.2cm~45cm 3匹 ぐれ 37cm~44.5cm 3匹 【釣り方】フカセ釣り 【水 温】18.2度 【海 上】ナギ 【 潮 】下り・速い 【釣り人】神戸市 高橋保洋さん 【釣... -
最新釣果情報
4月 9日の釣果情報です。
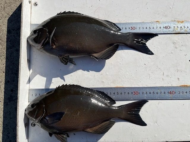
【釣り人】亀岡市 大西啓文さん 【釣 果】アオリイカ 1㎏~1.7㎏ 2杯 【釣り方】ヤエン釣り・活アジ 【水 温】18.0度 【海 上】ナギ 【 潮 】下り・速い 【釣り人】宇陀市 勝山常雄さん 【釣 果】ぐれ 40cm~44.6cm 3匹 ... -
最新釣果情報
4月 8日の釣果情報です。
【釣り人】南牟婁郡 阪口記生さん 【釣 果】ぐれ 39.5cm 1匹 【釣り方】フカセ釣り 【水 温】17.5度 【海 上】ナギ 【 潮 】下り・速い -
最新釣果情報
4月 7日の釣果情報です。
【釣り人】高槻市 西里政良さん 【釣 果】ぐれ 39cm~40cm 2匹 尾長 30cm 1匹 【釣り方】フカセ釣り 【水 温】17.2度 【海 上】ナギ【 潮 】下り・速い 【釣り人】神戸市 高橋保洋さん 【釣 果】尾長 27.5cm... -
最新釣果情報
4月 5日の釣果情報です。
【釣り人】神戸市 高橋保洋さん 【釣 果】尾長 35cm~36.5cm 2匹 【釣り方】フカセ釣り 【水 温】17.2度 【海 上】ナギ 【 潮 】下り・速い 【釣り人】匿名希望さん 【釣 果】尾長 31.5cm~32.5cm 2匹 ... -
最新釣果情報
4月 4日の釣果情報です。
【釣り人】奈良市 小中儀次さん 【釣 果】尾長 42cm 1匹 【釣り方】フカセ釣り 【水 温】17.1度 【海 上】高波 【 潮 】下り・速い 【釣り人】神戸市 高橋保洋さん 【釣 果】オオモンハタ 39cm 1匹 【釣り方】フ... -
最新釣果情報
4月 1日の釣果情報です。
高波ですよと2日に電話で了解をもらい、3日箱島限定での、出船でした。 【釣り人】東大阪市 田中良明さん 【釣 果】チヌ 46.9cm 1匹 タカノハ 37cm 1匹 【釣り方】フカセ釣り 【水 温】17.0度 【海 上】... -
最新釣果情報
3月 31日の釣果情報です。
【釣り人】大阪市 脇本耕司さん 【釣 果】ぐれ 40cm~44cm 4匹 尾長 38.7cm 2匹 ぐれ 37cm~39cm 3匹 【釣り方】フカセ釣り 【水 温】17.0度 【海 上】ナギ 【 潮 】下り・速い 【釣り人...
