

【釣り人】鈴鹿市 大井 真さん ワラサ、バラシ数あり !!
【釣 果】アカハタ 24cm~26.5cm 4匹
アカハタ 4匹リリースしてきました。
【釣り方】ルアー釣り
【水 温】19.1度 【海 上】ナギ 【 潮 】下り・速い
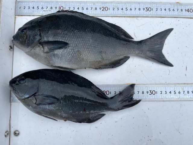
【釣り人】姫路市 森 顕さん
【釣 果】尾長 26cm~36cm 2匹
【釣り方】フカセ釣り


【釣り人】鈴鹿市 大井 真さん ワラサ、バラシ数あり !!
【釣 果】アカハタ 24cm~26.5cm 4匹
アカハタ 4匹リリースしてきました。
【釣り方】ルアー釣り
【水 温】19.1度 【海 上】ナギ 【 潮 】下り・速い
【釣り人】姫路市 森 顕さん
【釣 果】尾長 26cm~36cm 2匹
【釣り方】フカセ釣り