

【釣り人】南牟婁郡 阪口記生さん
【釣 果】尾長 39.7cm 1匹
イガミ 44cm 1匹
ぐれ 33.3cm 1匹
カワハギ 2匹
【釣り方】フカセ釣り
【水 温】17.9度 【海 上】多少波 【 潮 】下り・速い
【釣り人】大阪市 脇本耕司さん
【釣 果】イサキ 38.6cm 1匹
尾長 30cm 1匹
【釣り方】フカセ釣り


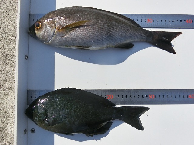
【釣り人】南牟婁郡 阪口記生さん
【釣 果】尾長 39.7cm 1匹
イガミ 44cm 1匹
ぐれ 33.3cm 1匹
カワハギ 2匹
【釣り方】フカセ釣り
【水 温】17.9度 【海 上】多少波 【 潮 】下り・速い
【釣り人】大阪市 脇本耕司さん
【釣 果】イサキ 38.6cm 1匹
尾長 30cm 1匹
【釣り方】フカセ釣り