
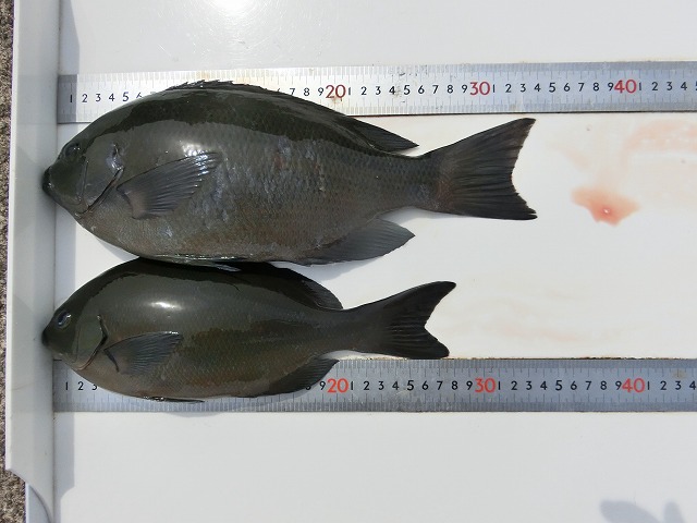
【釣り人】交野市 古川弘章さん
【釣 果】ぐれ 28cm~34cm 2匹
【釣り方】フカセ釣り
【水 温】18.5度 【海 上】多少波 【 潮 】上り・遅い
【釣り人】東大阪市 豊田裕之さん
【釣 果】ぐれ 38.5cm 1匹
【釣り方】フカセ釣り

【釣り人】交野市 古川弘章さん
【釣 果】ぐれ 28cm~34cm 2匹
【釣り方】フカセ釣り
【水 温】18.5度 【海 上】多少波 【 潮 】上り・遅い
【釣り人】東大阪市 豊田裕之さん
【釣 果】ぐれ 38.5cm 1匹
【釣り方】フカセ釣り