


【釣り人】堺市 塩田 誠さん、徳田真也さん、2人で。
【釣 果】アカハタ 25cm~32cm 6匹 アカハタ、小さいのを数釣りましたが、全部リリースしてきました。
【釣り方】ルアー釣り
【水 温】17.5度 【海 上】ナギ 【 潮 】上り・遅い
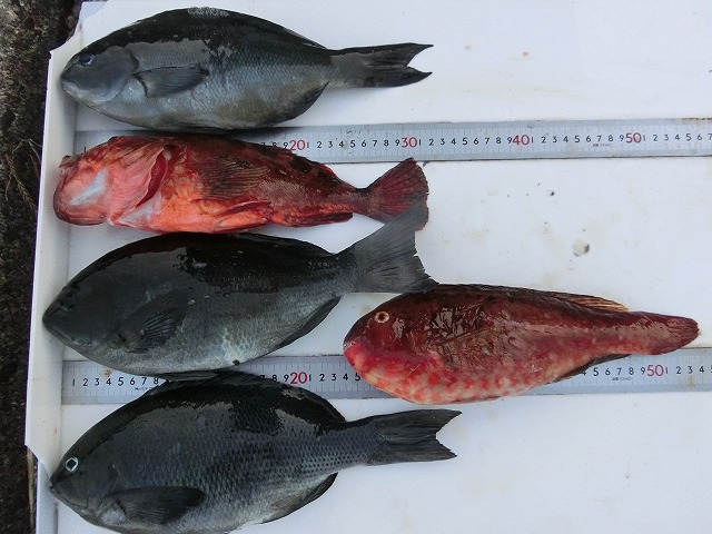
【釣り人】高槻市 西里政良さん
【釣 果】尾長 28cm~34cm 6匹
【釣り方】フカセ釣り
【釣り人】堺市 豊蔵潤吉さん
【釣 果】イシガキ 37.5cm 1匹
【釣り方】底物釣り
【釣り人】東大阪市 甲斐さん
【釣 果】ぐれ 32cm~40.5cm 2匹
チヌ 43cm~45.5cm 2匹
【釣り方】フカセ釣り
【釣り人】熊野市 川崎温功さん
【釣 果】イサキ 34.8cm 1匹
ぐれ 31cm~36.7cm 3匹
【釣り方】フカセ釣り
【釣り人】熊野市 岩崎基浩さん
【釣 果】ぐれ 39cm 1匹
【釣り方】フカセ釣り
【釣り人】大阪市 沖本公志さん
【釣 果】イサキ 31cm~36.3cm 3匹
オオモンハタ 31cm 1匹
ガシ 25cm 1匹
【釣り方】フカセ釣り
【釣り人】岡崎市 杉田啓介さん、名古屋市 澤井直人さん
【釣 果】ぐれ 32.5cm~34cm 2匹
尾長 33cm 1匹
ガシ 31cm 1匹
イガミ 31cm 1匹
【釣り方】フカセ釣り
