
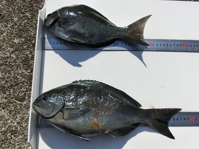
【釣り人】交野市 葛平雅也さん
【釣 果】尾長 30cm~37.5cm 2匹
【釣り方】フカセ釣り
【水 温】17.0度 【海 上】ナギ 【 潮 】下り・速い
【釣り人】橿原市 堀川達也さん
【釣 果】ぐれ 32.5cm 1匹
尾長 25.8cm~30cm 4匹
【釣り方】フカセ釣り
【釣り人】和泉の山ちゃん
【釣 果】ぐれ 36.7cm 1匹
【釣り方】カゴ釣り
【釣り人】津市 米澤浩次さん
【釣 果】ぐれ 34cm 1匹
【釣り方】フカセ釣り
【釣り人】神戸市 高橋保洋さん
【釣 果】ぐれ 33cm~40.6cm 2匹
【釣り方】フカセ釣り
【釣り人】桜井市 島岡徳宏さん
【釣 果】ぐれ 40cm 1匹
【釣り方】フカセ釣り
