

【釣り人】津市 前田 隼さん、吉田輝生さんら、2人で。
【釣 果】アカハタ 25.5cm~32.5cm 10匹
ガシ 25cm~28cm 3匹
ソイ 24.5cm 1匹
【釣り方】ルアー釣り
【水 温】22.5度 【海 上】高波 【 潮 】下り・速い
【釣り人】大和高田市 上野雅也さん
【釣 果】アカハタ 24cm~30cm 3匹
ガシ 27cm 1匹
【釣り方】ルアー釣り
【釣り人】生駒市 西村賢次さん
【釣 果】尾長 25cm~31.5cm 3匹
【釣り方】フカセ釣り
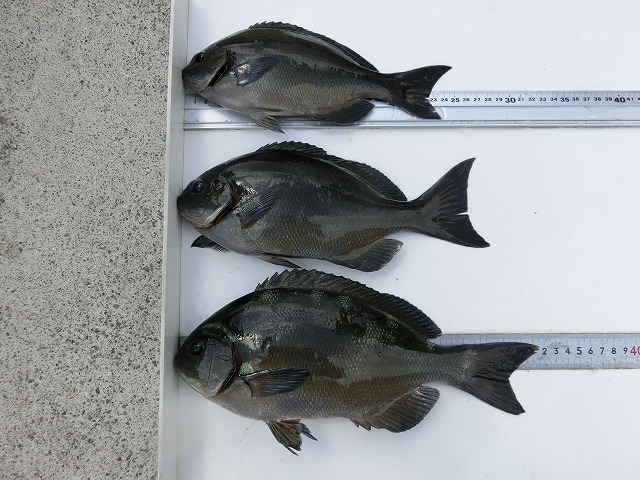
【釣り人】奈良市 柳 めぐみさん
【釣 果】尾長 30cm 1匹
オジサン 2匹
【釣り方】フカセ釣り
