





【釣り人】日進市 大原岳彦さん
【釣 果】メジロ 77cm 1匹
サワラ 1m 1匹 サワラ釣り上げて、ストリンガーで活かしていましたがストリンガーから外れてて逃げられました !!
【釣り方】ルアー釣り
【水 温】15.8度 【海 上】ナギ 【 潮 】下り・遅い
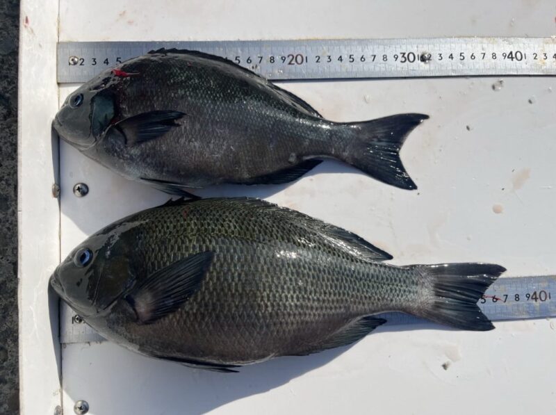
【釣り人】寝屋川市 嶋津靖久さん
【釣 果】ぐれ 41.5cm~42.7cm 2匹
尾長 30cm~38cm 5匹
【釣り方】フカセ釣り
【釣り人】東大阪市 古川弘章さん
【釣 果】ぐれ 43.5cm 1匹
【釣り方】フカセ釣り
【釣り人】伊丹市 尾上順一さん
【釣 果】尾長 30cm~33cm 2匹
ぐれ 36cm 1匹
【釣り方】フカセ釣り
【釣り人】南牟婁郡 田中耕作さん
【釣 果】ぐれ 37.4cm 1匹
尾長 32cm 1匹
【釣り方】フカセ釣り
【釣り人】桜井市 島岡徳宏さん
【釣 果】尾長 36.5cm 1匹
【釣り方】フカセ釣り
