



【釣り人】宇陀市 桑谷昂机さん
【釣 果】シイラ 46cm~63cm 2匹 シイラ数釣りましたが、後はリリースしてきました。
【釣り方】ルアー釣り
【水 温】23.5度 【海 上】ナギ 【 潮 】下り・遅い
【釣り人】宇陀市 田中昭寛さん シイラ数釣りましたが、後はリリースしてきました。
【釣 果】シイラ 72cm 1匹
【釣り方】ルアー釣り
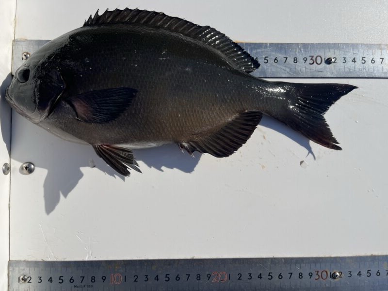
【釣り人】多気郡 笠原伸一さん
【釣 果】ぐれ 43cm 1匹
尾長 29.5cm~34cm 4匹
【釣り方】フカセ釣り
【釣り人】木津川市 柳 めぐみさん
【釣 果】尾長 34.5cm 1匹
【釣り方】フカセ釣り
