

【釣り人】東大阪市 田中良明さん
【釣 果】イシガキ 40.5cm 1匹
【釣り方】底物釣り
【水 温】25.7度 【海 上】多少波 【 潮 】下り・遅い
【釣り人】河内長野市 金子さん
【釣 果】イサキ 31cm~38.2cm 3匹
【釣り方】フカセ釣り


【釣り人】東大阪市 田中良明さん
【釣 果】イシガキ 40.5cm 1匹
【釣り方】底物釣り
【水 温】25.7度 【海 上】多少波 【 潮 】下り・遅い
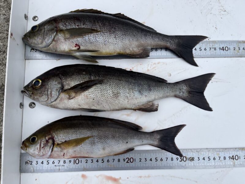
【釣り人】河内長野市 金子さん
【釣 果】イサキ 31cm~38.2cm 3匹
【釣り方】フカセ釣り