





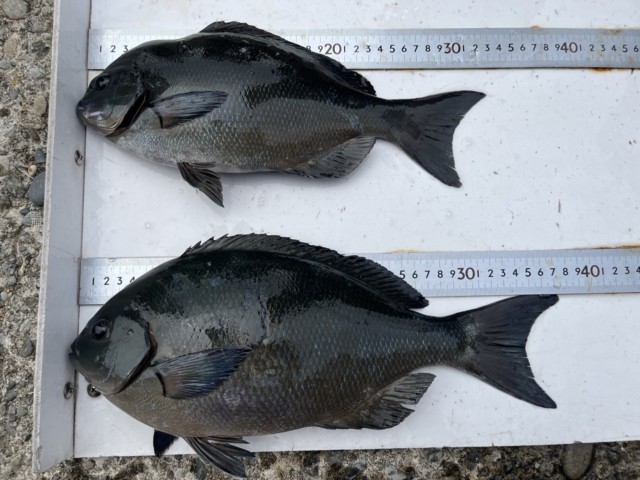
【釣り人】東大阪市 甲斐 明さん
【釣 果】尾長 30cm~39.2cm 8匹
【釣り方】フカセ釣り
【水 温】19.6~20.4度 【海 上】ナギ 【 潮 】上り・遅い
【釣り人】奈良市 藤山 司さん
【釣 果】イサキ 32cm~35.5cm 4匹
【釣り方】カゴ釣り
【釣り人】奈良市 橋本幸男さん
【釣 果】イシガキ 30cm~36cm 5匹
【釣り方】底物釣り
【釣り人】新宮市 小藪一志さん
【釣 果】尾長 33cm~37.5cm 2匹
【釣り方】フカセ釣り
【釣り人】大阪市 古川弘章さん
【釣 果】尾長 28cm~31cm 10匹
【釣り方】フカセ釣り
【釣り人】高浜市 小松 航さん
【釣 果】イガミ 40cm 1匹
尾長 26.5cm 2匹
【釣り方】フカセ釣り
