






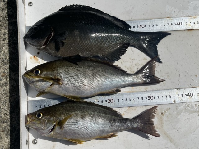
【釣り人】和泉の山ちゃん
【釣 果】イサキ 31.5cm~34cm 2匹
尾長 37.8cm 1匹
【釣り方】フカセ釣り
【水 温】19.3度 【海 上】ナギ 【 潮 】下り・速い
【釣り人】八尾市 原山輝二さん
【釣 果】尾長 34.5cm 1匹
ぐれ 36.5cm 1匹
【釣り方】フカセ釣り
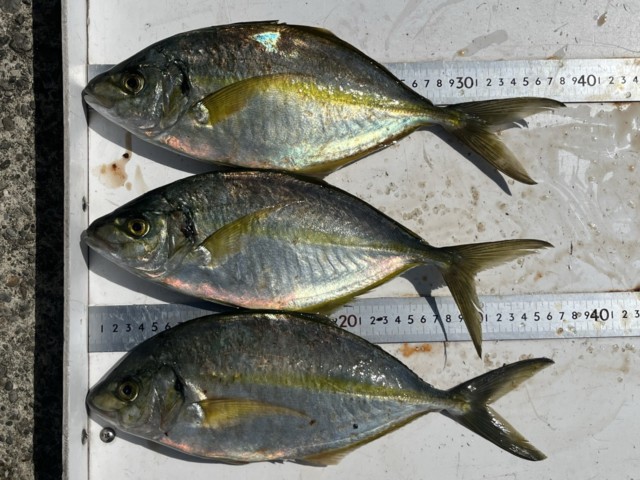
【釣り人】河内長野市 金子さん
【釣 果】シマアジ 35cm~37.5cm 3匹
【釣り方】フカセ釣り
【釣り人】多気郡 笠原伸一さん
【釣 果】イサキ 30cm~37.6cm 3匹
尾長 31cm 1匹
【釣り方】フカセ釣り イサキは、カゴ釣りで。
【釣り人】高槻市 宮崎智利さん
【釣 果】ぐれ 33.4cm 1匹
【釣り方】フカセ釣り
【釣り人】大阪市 古川弘章さん
【釣 果】イサキ 35cm 1匹
【釣り方】フカセ釣り
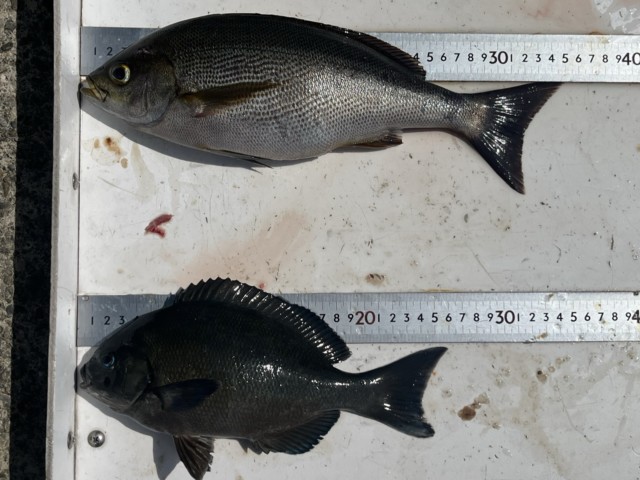
【釣り人】御所市 玉正武志さん
【釣 果】尾長 28cm 2匹
イガミ 38cm 1匹
【釣り方】フカセ釣り
