

【釣り人】神戸市 高橋保洋さん
【釣 果】ぐれ 42cm 1匹
尾長 34.8cm~35cm 3匹
【釣り方】フカセ釣り
【水 温】17.5度 【海 上】ナギ~多少波 【 潮 】下り・速い
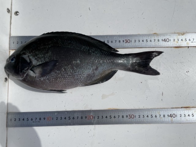
【釣り人】堺市 打越 透さん
【釣 果】尾長 39.5cm 1匹
【釣り方】フカセ釣り


【釣り人】神戸市 高橋保洋さん
【釣 果】ぐれ 42cm 1匹
尾長 34.8cm~35cm 3匹
【釣り方】フカセ釣り
【水 温】17.5度 【海 上】ナギ~多少波 【 潮 】下り・速い
【釣り人】堺市 打越 透さん
【釣 果】尾長 39.5cm 1匹
【釣り方】フカセ釣り