


【釣り人】茨木市 早川茂樹さん
【釣 果】ぐれ 40.5cm 1匹
尾長 41.5cm~42cm 2匹
【釣り方】フカセ釣り
【水 温】16.6度 【海 上】ナギ 【 潮 】下り・遅い
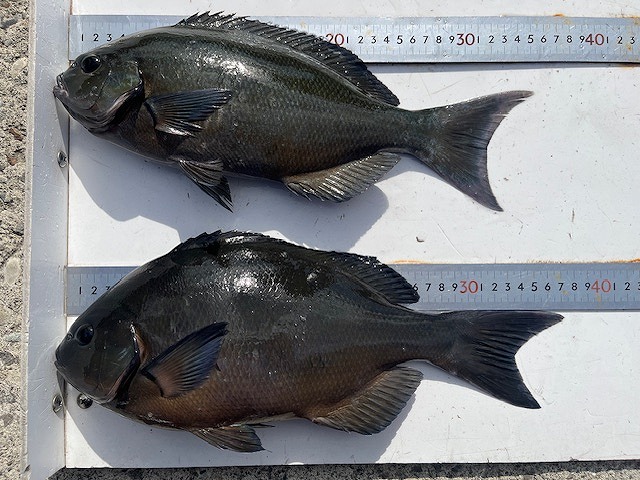
【釣り人】堺市 島田征二さん
【釣 果】尾長 36cm~37.3cm 2匹
【釣り方】フカセ釣り
【釣り人】大阪市 谷 晃さん
【釣 果】ぐれ 39.5cm 1匹
【釣り方】フカセ釣り
【釣り人】門真市 織田淳一さん
【釣 果】ぐれ 30cm~30.6cm 2匹
【釣り方】フカセ釣り
