


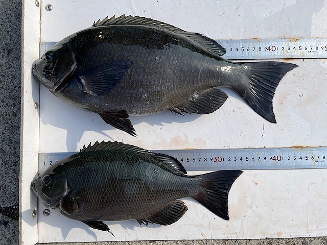
【釣り人】東大阪市 田中良明さん ぐれ、自己新記録おめでとうございます !!
【釣 果】ぐれ 48.6cm 1匹
尾長 34.8cm 1匹
【釣り方】フカセ釣り
【水 温】18.3度 【海 上】高波 【 潮 】下り・速い
【釣り人】神戸市 高橋保洋さん
【釣 果】ぐれ 34.5cm~45cm 2匹
【釣り方】フカセ釣り
【釣り人】大阪市 村田 努さん
【釣 果】尾長 37cm 1匹
オオモンハタ 37.5cm 1匹
【釣り方】フカセ釣り
【釣り人】富田林市 赤松茂美さん
【釣 果】ぐれ 36.7cm 2匹
【釣り方】フカセ釣り
【釣り人】吉野郡 小林弘和さん
【釣 果】尾長 32.4cm 1匹
【釣り方】フカセ釣り
