


【釣り人】松原市 北野功大さん
【釣 果】ぐれ 31.6cm~40cm 6匹
尾長 33cm 1匹
【釣り方】フカセ釣り
【水 温】18.3度 【海 上】ナギ 【 潮 】下り・速い
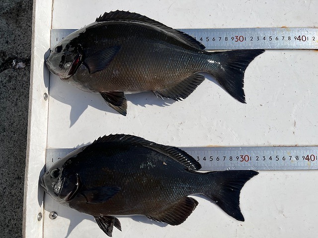
【釣り人】神戸市 高橋保洋さん
【釣 果】尾長 32.3cm~34.2cm 2匹
【釣り方】フカセ釣り
【釣り人】大阪市 門 正章さん
【釣 果】イシガキ 24.5cm~35cm 2匹
アカハタ 25cm 1匹
【釣り方】底物釣り



【釣り人】松原市 北野功大さん
【釣 果】ぐれ 31.6cm~40cm 6匹
尾長 33cm 1匹
【釣り方】フカセ釣り
【水 温】18.3度 【海 上】ナギ 【 潮 】下り・速い
【釣り人】神戸市 高橋保洋さん
【釣 果】尾長 32.3cm~34.2cm 2匹
【釣り方】フカセ釣り
【釣り人】大阪市 門 正章さん
【釣 果】イシガキ 24.5cm~35cm 2匹
アカハタ 25cm 1匹
【釣り方】底物釣り