

【釣り人】宇陀市 田中昭寛さん
【釣 果】アカハタ 33cm 1匹
ツバス 40cm 1匹
【釣り方】ルアー釣り
【水 温】18.1度 【海 上】ナギ 【 潮 】上り・速い
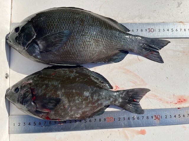
【釣り人】高槻市 大塚順平さん
【釣 果】ぐれ 34.7cm 1匹
尾長 29cm 1匹
【釣り方】フカセ釣り
【釣り人】大阪市 古川弘章さん 遠投スルスル
【釣 果】ヤイトガツオ 38cm~39cm 2匹
【釣り方】フカセ釣り
【釣り人】和泉市 山ちゃん 朝一頭目に、デカバンバラシ !!
【釣 果】尾長 31cm 1匹
【釣り方】フカセ釣り
