

12月16日・17日は、船のペンキ塗りの為お休みさせて頂きます。
18日から、出船しますのでよろしくお願いいたします。
船長。
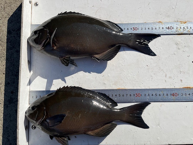
【釣り人】南牟婁郡 堀 良博さん
【釣 果】尾長 33.7cm~37.5cm 2匹
【釣り方】フカセ釣り
【水 温】19.8度 【海 上】ナギ 【 潮 】下り・遅い
【釣り人】北葛城郡 岩浅和昭さん
【釣 果】尾長 24cm~30.5cm 11匹
【釣り方】フカセ釣り


12月16日・17日は、船のペンキ塗りの為お休みさせて頂きます。
18日から、出船しますのでよろしくお願いいたします。
船長。
【釣り人】南牟婁郡 堀 良博さん
【釣 果】尾長 33.7cm~37.5cm 2匹
【釣り方】フカセ釣り
【水 温】19.8度 【海 上】ナギ 【 潮 】下り・遅い
【釣り人】北葛城郡 岩浅和昭さん
【釣 果】尾長 24cm~30.5cm 11匹
【釣り方】フカセ釣り