



【釣り人】吉野郡 西山啓二さん
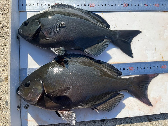
【釣 果】ぐれ 33.5cm~37cm 2匹
イサキ 39cm 2匹
尾長 34cm 1匹
【釣り方】フカセ釣り
【水 温】17.5度 【海 上】ナギ 【 潮 】下り・速い
【釣り人】八尾市 宮本 翼さん、
【釣 果】ぐれ 35.5cm~38cm 2匹
尾長 1匹
チヌ 38cm 1匹
【釣り方】フカセ釣り
【釣り人】神戸市 高橋保洋さん
【釣 果】ぐれ 37.5cm 1匹
尾長 30cm~34.7cm 3匹
【釣り方】フカセ釣り
【釣り人】南牟婁郡 堀 良博さん
【釣 果】ぐれ 39cm 1匹
尾長 29.5cm~30cm 2匹
【釣り方】フカセ釣り
【釣り人】桜井市 島岡徳宏さん
【釣 果】尾長 35cm~38.5cm 2匹
【釣り方】フカセ釣り
【釣り人】伊丹市 尾上順一さん
【釣 果】ぐれ 34cm 1匹
【釣り方】フカセ釣り
【釣り人】橿原市 堀川達也さん
【釣 果】ぐれ 36cm 1匹
【釣り方】フカセ釣り
