

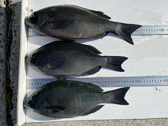
【釣り人】多気郡 笠原伸一さん
【釣 果】ぐれ 40cm~42cm 2匹
ぐれ 33.3cm~39.5cm 3匹
尾長 32.5cm~33cm 2匹
【釣り方】フカセ釣り
【水 温】度 【海 上】ナギ 【 潮 】下り・遅い
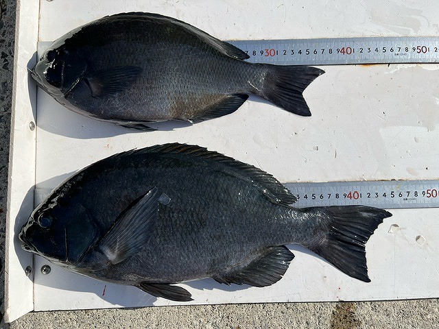
【釣り人】伊丹市 尾上順一さん
【釣 果】ぐれ 36.5cm~42.7cm 3匹
【釣り方】フカセ釣り
【釣り人】橿原市 堀川達也さん
【釣 果】ぐれ 37.5cm~45cm 2匹
【釣り方】フカセ釣り
【釣り人】匿名希望さん
【釣 果】ぐれ 33cm~39.5cm 3匹
【釣り方】フカセ釣り
