
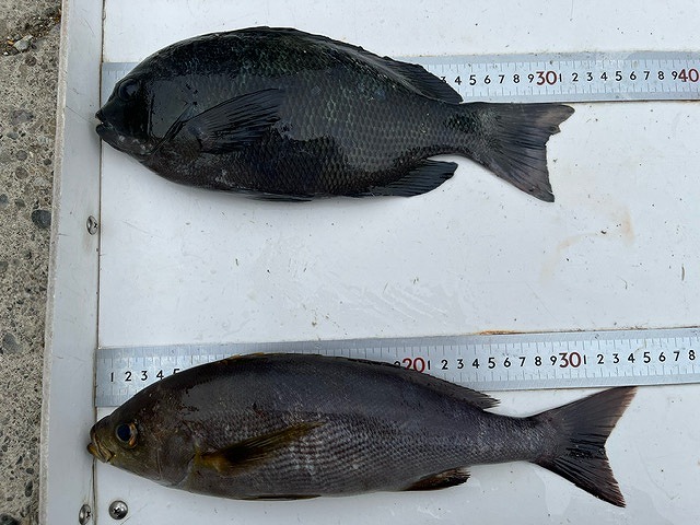
【釣り人】熊野市 川崎滉基さん
【釣 果】ぐれ 40cm~43cm 6匹
ぐれ 32.5cm~39.2cm 2匹
イサキ 36cm 1匹
【釣り方】フカセ釣り
【水 温】19.7度 【海 上】ナギ 【 潮 】下り・速い
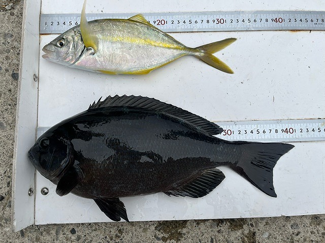
【釣り人】匿名希望さん
【釣 果】ぐれ 41cm 1匹
シマアジ 32cm 1匹
【釣り方】フカセ釣り
【釣り人】高槻市 西里政良さん
【釣 果】イサキ 34.5cm 1匹
ぐれ 32cm 1匹
【釣り方】フカセ釣り
【釣り人】紀宝町 福林慎一さん
【釣 果】イシガキ 24cm~33.8cm 4匹
【釣り方】底物釣り
