
【釣り人】御所市 玉正武志さん
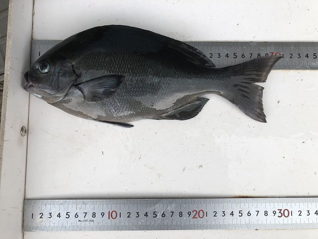
【釣 果】イサキ 39cm 1匹
イガミ 40.5cm 1匹
【釣り方】フカセ釣り
【水 温】23.7度 【海 上】ナギ~大雨強風 【 潮 】上り・速い
【釣り人】枚方市 岡南次郎さん
【釣 果】尾長 31cm 1匹
【釣り方】フカセ釣り
【釣り人】宇陀市 雀ヶ野重美さん
【釣 果】ぐれ 40cm 1匹
【釣り方】フカセ釣り
【釣り人】橿原市 畠山さん
【釣 果】オジサン 25cm~33cm 4匹
アカハタ 3匹
【釣り方】フカセ釣り
