2020年1月12日– date –
-
最新釣果情報
1月11日の釣果情報です。
【釣り人】生駒市 山口一施さん 【釣 果】ワラサ 70cm 1匹 ハマチ 41.5cm~44cm 7匹 【釣り方】カゴ釣り 【水 温】17.9度 【海 上】ナギ 【 潮 】上り・速い 【釣り人】奈良市 柳 康政さん 【... -
最新釣果情報
1月10日の釣果情報です。
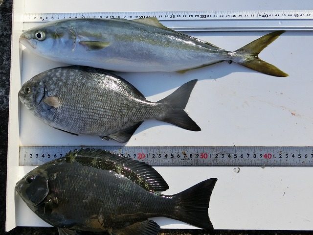
【釣り人】紀宝町 小山一徳さん 【釣 果】ハマチ 44cm 1匹 ぐれ 33cm 1匹 【釣り方】フカセ釣り 【水 温】17.9度 【海 上】ナギ 【 潮 】下り・速い 【釣り人】八尾市 高井光儀さん 【釣 果】... -
最新釣果情報
1月9日の釣果情報です。
【釣り人】大阪市 吉野 出さん 【釣 果】ぐれ 42cm 1匹 尾長 28cm 3匹 【釣り方】フカセ釣り 【水 温】17.9度 【海 上】多少波 【 潮 】上り・速い 【釣り人】八尾市 高井光儀さん 【釣 果】尾長 25.... -
最新釣果情報
1月8日の釣果情報です。
大荒れの為、お休みです。
1
