川崎渡船– Author –
-
最新釣果情報
1月 1日 新年あけましておめでとうございます。
新年あけましておめでとうございます。 今年も宜しくお願いします。 船長。 -
最新釣果情報
12月 31日の釣果情報です。
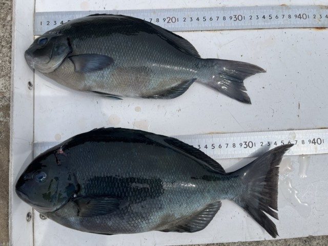
お知らせ 1月2日から料金の値上げをさせて頂きます。 1人5000円にさせて頂きますので、宜しくお願いします。 ( 熊野渡船組合 ) 【釣り人】多気郡 笠原伸一さん【釣 果】ぐれ 42.5cm~44cm 3匹 尾長 3... -
最新釣果情報
12月 30日の釣果情報です。
お知らせ 1月2日から料金の値上げをさせて頂きます。 1人5000円にさせて頂きますので、宜しくお願いします。 ( 熊野渡船組合 ) 【釣り人】河内長野市 山本さん【釣 果】ぐれ 45.5cm 1匹【釣り方】フカセ釣り【水... -
最新釣果情報
12月 29日の釣果情報です。
お知らせ 1月2日から料金の値上げをさせて頂きます。 1人5000円にさせて頂きますので、宜しくお願いします。 ( 熊野渡船組合 ) 【釣り人】木津川市 柳 康政さん【釣 果】尾長 31cm~35.5cm 3匹 ぐれ ... -
最新釣果情報
12月 28日の釣果情報です。
お知らせ 1月2日から料金の値上げをさせて頂きます。 1人5000円にさせて頂きますので、宜しくお願いします。 ( 熊野渡船組合 ) 【釣り人】東大阪市 古川弘章さん【釣 果】ぐれ 40cm~43cm 3匹 ぐれ ... -
最新釣果情報
12月 27日の釣果情報です。
【釣り人】和泉市 井上貴之さん【釣 果】尾長 32cm~36cm 4匹【釣り方】フカセ釣り【水 温】17.6度 【海 上】ナギ 【潮 】下り・速い 【釣り人】橿原市 堀川達也さん 【釣 果】尾長 31cm~34cm 3匹 ぐれ 31.5cm... -
最新釣果情報
12月 26日の釣果情報です。
【釣り人】神戸市 高橋保洋さん【釣 果】尾長 35cm 1匹【釣り方】フカセ釣り【水 温】17.1度 【海 上】ナギ 【 潮 】下り・速い 【釣り人】松坂市 阪本成吾さん【釣 果】尾長 39.8cm 1匹【釣り方】フカセ釣り 【釣り人】堺市 打越 透... -
最新釣果情報
12月 19日の釣果情報です。
【釣り人】大阪市 大原 勉さん【釣 果】尾長 27.4cm~33.5cm 5匹【釣り方】フカセ釣り【水 温】17.5度 【海 上】ナギ 【 潮 】下り・速い 【釣り人】桜井市 島岡徳宏さん【釣 果】尾長 29.5cm~35.2cm 2匹【釣り方】フカセ釣り
