川崎渡船– Author –
-
最新釣果情報
6月 23日釣果情報です。
【釣り人】和泉市 前田文男さん【釣 果】イサキ 36.5cm 1匹 コッパが、多かった。【釣り方】フカセ釣り 【水 温】23.3度 【海 上】高波 【 潮 】上り・速い -
最新釣果情報
6月 21日釣果情報です。
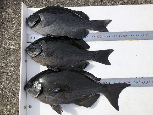
【釣り人】大阪市 門 正章さん【釣 果】イシガキ 35.1cm~38.5cm 2匹【釣り方】底物釣り 【水 温】23.4度 【海 上】高波 【 潮 】上り・速い 【釣り人】富田林市 赤松茂美さん【釣 果】イシガキ 34cm~35.8cm 2匹 【... -
最新釣果情報
6月 20日釣果情報です。
【釣り人】御所市 玉正武志さん【釣 果】イサキ 39cm 1匹 イガミ 40.5cm 1匹【釣り方】フカセ釣り 【水 温】23.7度 【海 上】ナギ~大雨強風 【 潮 】上り・速い 【釣り人】枚方市 岡南次郎さん【釣 ... -
最新釣果情報
6月 19日釣果情報です。
【釣り人】堺市 打越 透さん【釣 果】尾長 29cm~40cm 3匹 ぐれ 32.5cm 1匹 カワハギ 1匹 【釣り方】フカセ釣り 【水 温】23.7度 【海 上】ナギ 【 潮 】上り・速い 【... -
最新釣果情報
6月 18日釣果情報です。
【釣り人】大阪市 山崎 修さん 【釣 果】クエ 62cm 1匹 【釣り方】クエ釣り 【水 温】23.7度 【海 上】ナギ 【 潮 】上り・速い 【釣り人】名古屋市 河合洋平さん【釣 果】ヒラスズキ 44.5cm~48.1cm 2... -
最新釣果情報
6月 17日釣果情報です。
【釣り人】木津川市 柳 康政さん【釣 果】尾長 26.3cm~34.5cm 7匹 ぐれ 33cm 1匹【釣り方】フカセ釣り 【水 温】23.6度 【海 上】ナギ 【 潮 】上り・速い 【釣り人】名古屋市 犬田嘉... -
最新釣果情報
6月 16日釣果情報です。
【釣り人】東大阪市 田中良明さん 【釣 果】イシガキ 32cm~36.5cm 3匹【釣り方】底物釣り【水 温】度 【海 上】多少波 【 潮 】上り・速い 【釣り人】御所市 阪本雅宣さん 二刀流【釣 果】イサキ 28... -
最新釣果情報
6月 8日釣果情報です。
【釣り人】東大阪市 田中良明さん 【釣 果】イシガキ 29cm~42cm 2匹【釣り方】底物釣り 【水 温】度 【海 上】高波 【 潮 】下り・速い
