川崎渡船– Author –
-
最新釣果情報
11月 1日釣果情報です。
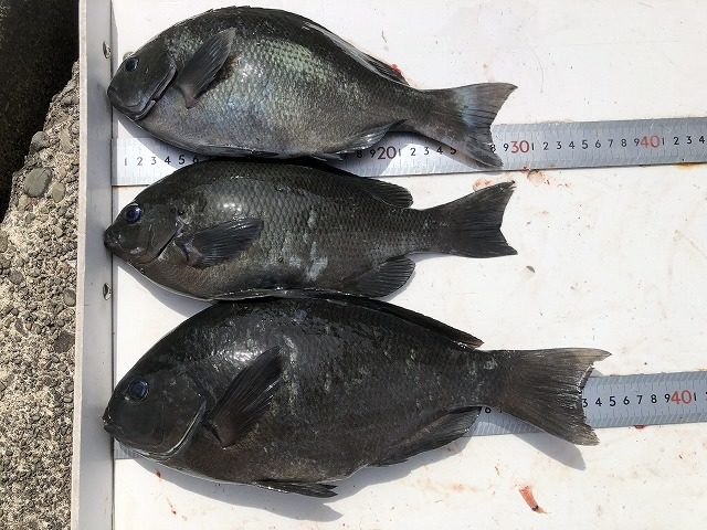
【釣り人】大阪市 北村博司さん 【釣 果】ぐれ 47.1cm 1匹 イガミ 36cm 1匹 【釣り方】フカセ釣り【水 温】22.1度 【海 上】ナギ 【 潮 】下り・遅い 【釣り人】堺市 打越 透さん【釣 果】尾長 30cm~33c... -
最新釣果情報
10月 31日釣果情報です。
【釣り人】枚方市 岡南次郎さん 【釣 果】イシガキ 26cm~37cm 3匹 【釣り方】底物釣り【水 温】22.5度 【海 上】ナギ 【 潮 】下り・遅い -
最新釣果情報
只今、川﨑渡船の家の前の港から出船しています。
只今、川﨑渡船の家の前の港から出船しています。 木本港から、出船しています。 午前 5時 30分までに、木本港まで来て下さい。 午前 5時50分に、出船しますのでヨロシクお願いします。 ... -
最新釣果情報
10月 29日釣果情報です。
【釣り人】木津川市 柳 めぐみさん【釣 果】尾長 33cm~34cm 2匹 カイワリ 36.5cm 2匹 シマアジ 1匹 ツバス 1匹【釣り方】フカセ釣り【水 温】23.2度 【海 上】ナギ ... -
最新釣果情報
10月 28日釣果情報です。
【釣り人】名古屋市 犬田嘉彦さん【釣 果】ヤイトガツオ 32cm 1匹 シイラ 60cm 2匹 シイラ、リリースしてきました。【釣り方】ルアー釣り 【水 温】23.2度 【海 上】ナギ 【 潮 】下り・速い 【... -
最新釣果情報
10月 26日釣果情報です。
【釣り人】岐阜市 伊藤啓志さん 毎年、伊藤さんは家のメジカ 一袋 3㌔入り300円の餌を使ってくれています。【釣 果】クエ 73cm 1匹 【釣り方】クエ釣り【水 温】23.2度 【海 上】ナギ 【 潮 】下り・遅い 【釣り人】奈... -
最新釣果情報
10月 25日釣果情報です。
【釣り人】名古屋市 清水伸介さん 【釣 果】アカハタ 29cm~33cm 6匹 イガミ 34cm 1匹 その他・・・・・・・・・・【釣り方】ズボ釣り【水 温】23.2度 【海 上】ナギ 【 潮 】上り・速い  ... -
最新釣果情報
10月 24日釣果情報です。
【釣り人】宇陀市 勝山常雄さん【釣 果】ぐれ 29.5cm~40cm 3匹 【釣り方】フカセ釣り【水 温】23.2度 【海 上】ナギ 【 潮 】下り・遅い 【釣り人】宝塚市 野瀬修一さん【釣 果】イシガキ 22.5cm~32cm 7匹 【釣り方】...
