川崎渡船– Author –
-
最新釣果情報
11月 12日釣果情報です。
【釣り人】生駒市 蛭子谷 樹さん【釣 果】アカハタ 23cm~33cm 14匹【釣り方】ルアー釣り 【水 温】21..8度 【海 上】多少波 【 潮 】上り・遅い 【釣り人】御所市 阪本雅宣さん 【釣 果】アカハタ 20.5cm~33cm 8匹 ... -
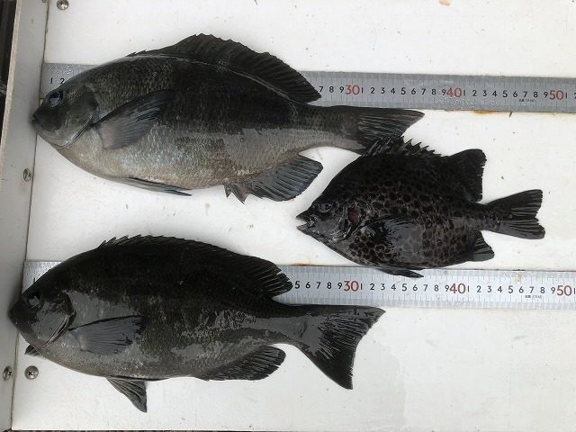
最新釣果情報
11月 11日釣果情報です。
10日は、高波の為お休みでした。 【釣り人】神戸市 高橋保洋さん 【釣 果】ぐれ 35.5cm~43.5cm 3匹 【釣り方】フカセ釣り【水 温】21..8度 【海 上】多少波 【 潮 】下り・遅い 【釣り人】土岐市 天野貴仁さん、水... -
最新釣果情報
11月 9日釣果情報です。
【釣り人】神戸市 高橋保洋さん 【釣 果】ぐれ 34cm~39.5cm 2匹 ヒブダイ 43cm 1匹【釣り方】フカセ釣り【水 温】22.3度 【海 上】多少波~高波 【 潮 】下り・遅い -
最新釣果情報
11月 8日釣果情報です。
6日・7日は、高波でお休みさせてもらいました。 【釣り人】新宮市 垣内利夫さん【釣 果】ぐれ 35ccm 1匹 カワハギ 2匹 【釣り方】フカセ釣り 【水 温】22.3度 【海 上】多少波 【 潮 】下り・遅い &nb... -
最新釣果情報
11月 5日釣果情報です。
【釣り人】八尾市 原山輝二さん【釣 果】イシガキ 29.5cm~40.5cm 4匹 【釣り方】底物釣り【水 温】22.4度 【海 上】ナギ~多少波 【 潮 】上り・遅い 【釣り人】鈴鹿市 山本雅参さん【釣 果】オオモンハタ 48cm 1匹 【... -
最新釣果情報
11月 4日釣果情報です。
【釣り人】交野市 古川弘章さん 【釣 果】イサキ 40cm 1匹 ヤイトガツオ 34.6cm 1匹【釣り方】フカセ釣り 【水 温】22.3度 【海 上】ナギ 【 潮 】上り・遅い 【釣り人】神戸市 高橋保洋さん【釣 果... -
最新釣果情報
11月 3日釣果情報です。
【釣り人】柏原市 木村真也さん 【釣 果】アオリイカ 300g~1㎏ 8杯 【釣り方】ヤエン釣り 【水 温】22.4度 【海 上】ナギ 【 潮 】上り・遅い 【釣り人】木津川市 柳 めぐみさん【釣 果】尾長 27cm~33cm 13匹 ... -
最新釣果情報
11月 2日釣果情報です。
【釣り人】大阪市 伊藤さん【釣 果】ぐれ 42cm~47.1cm 2匹 尾長 40cm 2匹 【釣り方】フカセ釣り【水 温】22.4度 【海 上】ナギ 【 潮 】下り~上り・遅い 【釣り人】東大阪市 田中良明さん【釣 果】...
