川崎渡船– Author –
-
最新釣果情報
6月 16日釣果情報です。
【釣り人】宇陀市 田中昭寛さん【釣 果】オオモンハタ 36cm~45cm 2匹 アカハタ 30cm~34cm 3匹 【釣り方】ルアー釣り【水 温】22.5度 【海 上】ナギ 【 潮 】上り・遅い -
最新釣果情報
6月 14日釣果情報です。
【釣り人】東大阪市 播磨 浩さん【釣 果】イシガキ 26.5cm~30cm 3匹 アオブダイ 54cm 1匹 カワハギ 28.5cm 1匹【釣り方】底物釣り 【釣り人】大阪市 岡田耕司さん【釣 果】イサキ 36.5cm 1... -
最新釣果情報
6月 13日釣果情報です。
【釣り人】八尾市 神倉泰治さん【釣 果】オオモンハタ 37.5cm 1匹 【釣り方】ルアー釣り【水 温】度 【海 上】多少波 【 潮 】上り・速い 【釣り人】大阪市 岩間一浩さん【釣 果】イサキ 29cm 1匹 【釣り方】カゴ釣り ... -
最新釣果情報
6月 8日釣果情報です。
【釣り人】御所市 阪本雅宜さん【釣 果】イサキ 26cm~37cm 6匹 尾長 36.5cm 1匹 【釣り方】カゴ釣り【水 温】21.5度 【海 上】多少波 【 潮 】下り・遅い 【釣り人】四日市市 戸瀬 歩さん【釣 果... -
最新釣果情報
6月 7日釣果情報です。
【釣り人】八尾市 宮田明典さん 【釣 果】アオリイカ 500g~1.2㎏ 5ハイ 【釣り方】ヤエン釣り【水 温】21.3度 【海 上】ナギ 【 潮 】下り・速い 【釣り人】柏原市 木村真也さん 【釣 果】アカハタ 36.5cm 1... -
最新釣果情報
6月 6日釣果情報です。
【釣り人】東大阪市 田中良明さん 【釣 果】イシガキ 28.5cm~35.4cm 5匹【釣り方】底物釣り【水 温】21.6度 【海 上】多少波 【 潮 】下り・遅い 【釣り人】和泉市 山ちゃん 【釣 果】イサキ 27cm~31cm 3匹 【... -
最新釣果情報
6月 5日釣果情報です。
【釣り人】奈良市 橋本幸男さん 【釣 果】石鯛 55cm 1匹 イシガキ 26cm~41cm 10匹 【釣り方】底物釣り【水 温】21.6度 【海 上】多少波 【 潮 】下り・速い 【釣り人】亀岡市 大西啓文さん【釣 果】... -
最新釣果情報
6月 4日釣果情報です。
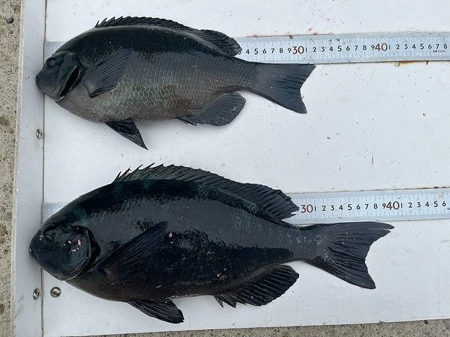
【釣り人】大阪市 藤本義男さん【釣 果】ぐれ 40cm 1匹 尾長 36.2cm 1匹 【釣り方】フカセ釣り【水 温】20.6度 【海 上】ナギ 【 潮 】下り・遅い 【釣り人】大阪市 岡本光隆さん【釣 果】尾長 30cm~...
