川崎渡船– Author –
-
最新釣果情報
11月15日の釣果情報です。
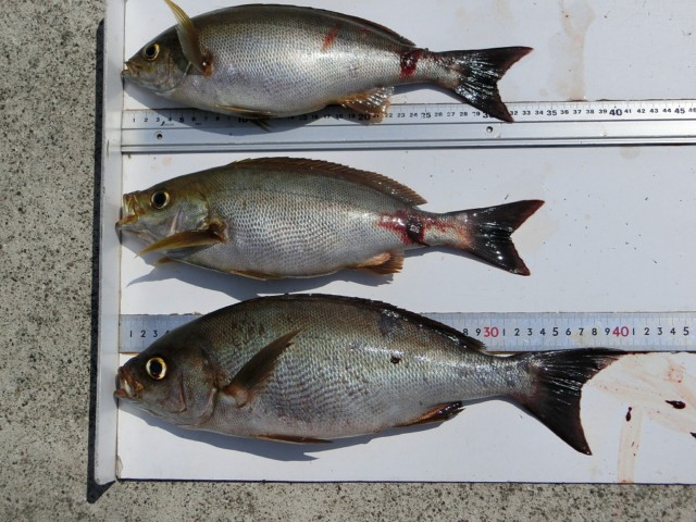
【釣り人】神戸市 高橋保洋さん 【釣 果】シマアジ 25cm~30cm 4匹 コッパが、多かった。 【釣り方】フカセ釣り 【水 温】21.8度 【海 上】高波 【 潮 】下り・速い 【釣り人】四条畷市 山岡二郎さん 【釣 果】コッパが、... -
最新釣果情報
11月14日の釣果情報です。
【釣り人】高槻市 西里政良さん 【釣 果】尾長 27.5cm~37.8cm 4匹 【釣り方】フカセ釣り 【水 温】21.8度 【海 上】高波 【 潮 】下り・遅い 【釣り人】四条畷市 山岡二郎さん 【釣 果】コッパ 10匹 【釣り方】フカセ... -
最新釣果情報
11月13日の釣果情報です。
【釣り人】大阪市 南 茂行さん 【釣 果】イサキ 30cm~33cm 3匹 【釣り方】フカセ釣り 【水 温】21.8度 【海 上】高波 【 潮 】下り~上り・速い 【釣り人】神戸市 高橋保洋さん 【釣 果】イガミ 39cm 1匹 ぐれ... -
最新釣果情報
11月12日の釣果情報です。
【釣り人】大阪市 岩津 敢さん 【釣 果】イシガキ 30cm~41cm 1匹 【釣り方】底物釣り 【 エサ 】ウニ 【水 温】21.8度 【海 上】高波 【 潮 】下り・遅い 【釣り人】神戸市 高橋保洋さん 【釣 果】ソ... -
最新釣果情報
11月10日の釣果情報です。
【釣り人】上北山村 大谷信雄さん 【釣 果】イガミ 26cm~43.5cm 18匹 【釣り方】イガミ釣り 【 エサ 】ホンダワラ 【水 温】21.1度 【海 上】高波 【 潮 】下り・速い 【釣り人】半田市 都築直剛さん 【釣... -
最新釣果情報
11月6日の釣果情報です。
【釣り人】明和町 中西利勝さん 【釣 果】石鯛 61.5cm 1匹 【釣り方】底物釣り 【 エサ 】ヤドカリ 【釣り場】鈴置島 【水 温】21.8度 【海 上】やや多少波 【 潮 】上り~下り・速い 【釣り人】奈良... -
最新釣果情報
11月5日の釣果情報です。
【釣り人】香芝市 田中 亨さん 【釣 果】イシガキ 41cm 1匹 アズキマス 34cm 1匹 【釣り方】底物釣り 【 エサ 】ヤドカリ 【水 温】 【海 上】多少波 【 潮 】遅い 【釣り人】熊野市 北仲さん 【釣 果】イガミ ... -
最新釣果情報
11月4日の釣果情報です。
【釣り人】瑞穂市 森 教雄さん 【釣 果】イサキ 23cm~34cm 2匹 ヒラソウダガツオ 32cm 1匹 【釣り方】カゴ釣り 【水 温】 【海 上】ナギ 【 潮 】遅い 【釣り人】奈良市 田中秀典さん 【釣 果】ヤイトガツオ 3...
