川崎渡船– Author –
-
最新釣果情報
11月24日の釣果情報です。
【釣り人】東大阪市 杉下公明さん 【釣 果】尾長 41.2cm 1匹 【釣り方】フカセ釣り 【水 温】22.8度 【海 上】多少波 【 潮 】下り・速い -
最新釣果情報
11月23日の釣果情報です。
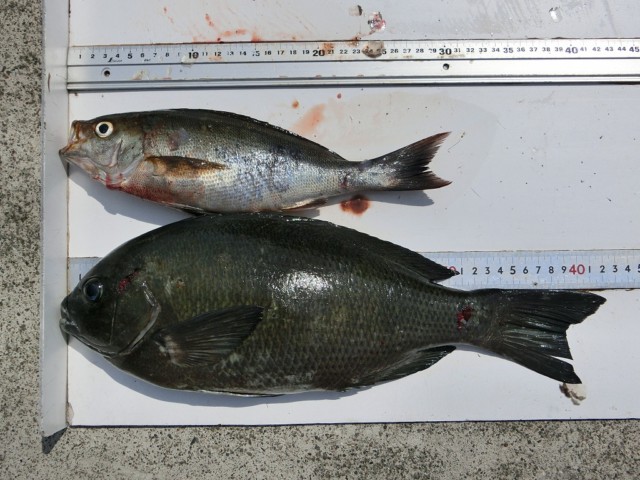
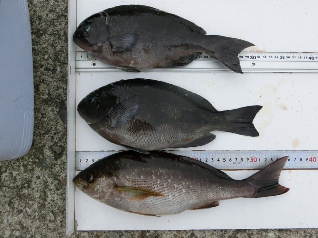
【釣り人】熊野市 西村美春さん ( 丸山飯店 ) 【釣 果】イガミ 26.5cm~44cm 16匹 【釣り方】イガミ釣り 【水 温】22.8度 【海 上】ナギ 【 潮 】下り・遅い 【釣り人】大阪市 村中博智さん 【釣 果】へダイ 4... -
最新釣果情報
11月22日の釣果情報です
【釣り人】大阪市 門 正章さん 【釣 果】イシガキ 29cm~38cm 3匹 カワハギ 23cm~27cm 10匹 【釣り方】底物釣り・ズボ釣り 【水 温】22.8度 【海 上】高波 【 潮 】下り・速い -
最新釣果情報
11月21日の釣果情報です。
【釣り人】木津川市 佐々木 健さん 【釣 果】石鯛 49.9cm 1匹 イシガキ 34.5cm 1匹 【釣り方】底物釣り 【水 温】22.7度 【海 上】ナギ 【 潮 】上り・遅い 【釣り人】高槻市 西里政良さん 【釣 果】尾長 41.5cm ... -
最新釣果情報
11月20日の釣果情報です。
【釣り人】豊田市 利根裕介さん 【釣 果】ヒラメ 46.5cm 1匹 【釣り方】ルアー釣り 【水 温】22.7度 【海 上】多少波 【 潮 】下り・遅い 【釣り人】大阪市 平崎正明さん 【釣 果】ぐれ 25cm~28cm 3匹 イガミ ... -
最新釣果情報
11月18日の釣果情報です。
【釣り人】羽曳野市 白土師将美さん 【釣 果】イサキ 29.5cm~33cm 2匹 尾長 26cm~30cm 2匹 【釣り方】カゴ釣り 【水 温】21.8度 【海 上】ナギ 【 潮 】上り・遅い 【釣り人】大阪市 吉野 出さん 【釣 果】シマアジ... -
最新釣果情報
11月17日の釣果情報です。
【釣り人】神戸市 高橋保洋さん 【釣 果】コッパが、多かった。 【釣り方】フカセ釣り 【水 温】21.8度 【海 上】ナギ 【 潮 】下り・遅い 【釣り人】半田市 都築直剛さん 【釣 果】イシガキ 36.3cm 1匹 【釣り方】底物釣... -
最新釣果情報
11月16日の釣果情報です。
【釣り人】多治見市 長野秀男さん 【釣 果】シイラ 88cm 1匹 アカハタ 28cm~34.5cm 2匹 【釣り方】ルアー釣り 【水 温】21.8度 【海 上】ナギ 【 潮 】下り・遅い 【釣り人】神戸市 高橋保洋さん 【釣 果】尾長 3...
