川崎渡船– Author –
-
最新釣果情報
11月30日の釣果情報です。
【釣り人】尼崎市 矢野 譲さん 【釣 果】石鯛 49.5cm 1匹 イシガキ 30cm 1匹 【釣り方】底物釣り 【水 温】21.8度 【海 上】ナギ 【 潮 】下り・速い 【釣り人】上北山村 大谷信雄さん 【釣 果】イガミ 27.5cm~42cm ... -
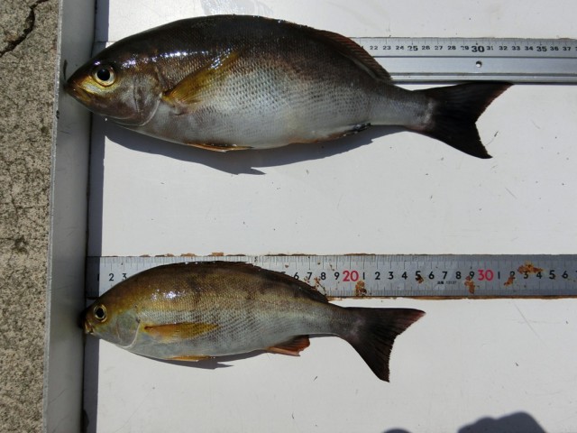
最新釣果情報
11月29日の釣果情報です。
【釣り人】大阪市 平崎正明さん 【釣 果】イガミ 39cm 1匹 ぐれ 31cm 1匹 【釣り方】フカセ釣り 【水 温】21.3度 【海 上】ナギ 【 潮 】下り・速い -
最新釣果情報
11月26日の釣果情報です。
【釣り人】刈谷市 村上英樹さん 【釣 果】ハマチ 52cm 1匹 【釣り方】ルアー釣り 【水 温】22.3度 【海 上】多少波 【 潮 】上り・速い 【釣り人】大阪市 村田 努さん 【釣 果】尾長 26cm~32.5cm 6匹 サンバ... -
最新釣果情報
11月25日の釣果情報です。
【釣り人】上北山村 大谷信雄さん 【釣 果】イガミ 27cm~40cm 8匹 【釣り方】イガミ釣り 【水 温】22.3度 【海 上】多少波~高波 【 潮 】下り~上り・遅い 【釣り人】大阪市 村田 努さん 【釣 果】ぐれ 37cm 1... -
最新釣果情報
11月24日の釣果情報です。
【釣り人】東大阪市 杉下公明さん 【釣 果】尾長 41.2cm 1匹 【釣り方】フカセ釣り 【水 温】22.8度 【海 上】多少波 【 潮 】下り・速い -
最新釣果情報
11月23日の釣果情報です。
【釣り人】熊野市 西村美春さん ( 丸山飯店 ) 【釣 果】イガミ 26.5cm~44cm 16匹 【釣り方】イガミ釣り 【水 温】22.8度 【海 上】ナギ 【 潮 】下り・遅い 【釣り人】大阪市 村中博智さん 【釣 果】へダイ 4... -
最新釣果情報
11月22日の釣果情報です
【釣り人】大阪市 門 正章さん 【釣 果】イシガキ 29cm~38cm 3匹 カワハギ 23cm~27cm 10匹 【釣り方】底物釣り・ズボ釣り 【水 温】22.8度 【海 上】高波 【 潮 】下り・速い -
最新釣果情報
11月21日の釣果情報です。
【釣り人】木津川市 佐々木 健さん 【釣 果】石鯛 49.9cm 1匹 イシガキ 34.5cm 1匹 【釣り方】底物釣り 【水 温】22.7度 【海 上】ナギ 【 潮 】上り・遅い 【釣り人】高槻市 西里政良さん 【釣 果】尾長 41.5cm ...
