川崎渡船– Author –
-
最新釣果情報
3月12日の釣果情報です。
【釣り人】熊野市 下野裕嗣さん 餌取りが、多い中頑張ってくれました。 【釣 果】尾長 28cm 1匹 ぐれ 27.5cm~30.5cm 3匹 【釣り方】フカセ釣り 【水 温】15.9~16.3度 【海 上】ナギ 【... -
最新釣果情報
3月11日の釣果情報です。
【釣り人】新宮市 福田守彦さん バラシが、数あったて言っていました。 【釣 果】尾長 47.5cm 1匹 ぐれ 31cm~40.5cm 2匹 【釣り方】フカセ釣り 【水 温】15.9~16.3度 【海 上】ナギ 【 潮 】... -
最新釣果情報
3月10日の釣果情報です。
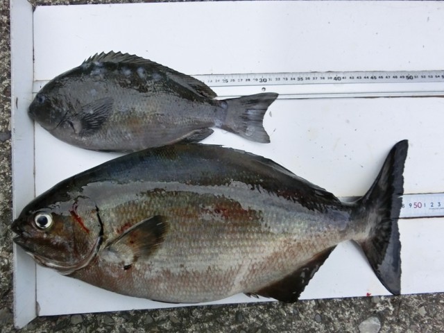
【釣り人】奈良市 橋本幸雄さん 強風の中、頑張りました。 【釣 果】ぐれ 44.5cm 1匹 【釣り方】フカセ釣り 【水 温】15.5度 【海 上】ナギ 【 潮 】下り・速い 【釣り人】枚方市 岡南次郎さん 【釣 果】ぐ... -
最新釣果情報
3月9日の釣果情報です。
全体が強風の中、風に負けず頑張ってくれました。 【釣り人】大阪市 岡本光隆さん 【釣 果】ぐれ 30cm~32cm 3匹 尾長 27.5cm 2匹 【釣り方】フカセ釣り 【水 温】15.5度 【海 上】ナギ 【 潮 】... -
最新釣果情報
3月8日の釣果情報です。
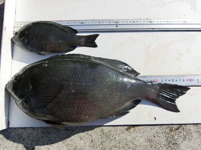
【釣り人】奈良市 橋本幸雄さん 強風の中、強風に負けず頑張ってくれました。 【釣 果】ぐれ 37.5cm~43.5cm 2匹 【釣り方】フカセ釣り 【水 温】15.6度 【海 上】ナギ 【 潮 】下り・速い 【釣り人】八尾市 ... -
最新釣果情報
3月7日の釣果情報です。
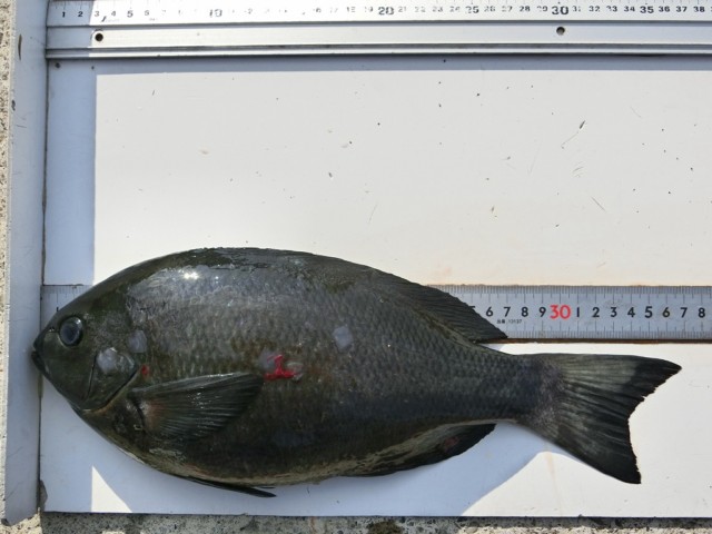
【釣り人】南牟婁郡 東 久夫さん 強風で、釣りづらかった。 【釣 果】ぐれ 31.5cm~34cm 2匹 ヘダイ 43.5cm 1匹 【釣り方】フカセ釣り 【水 温】15.9度 【海 上】高波~多少波 【 潮 】下り・速い ... -
最新釣果情報
3月6日の釣果情報です。
【釣り人】枚方市 岡南次郎さん 雨の中、寒さに負けず頑張ってくれました。 【釣 果】ぐれ 30cm~37.2cm 3匹 【釣り方】フカセ釣り 【水 温】15.9度 【海 上】ナギ 【 潮 】下り・速い -
最新釣果情報
3月5日の釣果情報です。
【釣り人】門真市 西宗頼正さん 沖の潮目で、釣れたって言ってました。 【釣 果】ぐれ 26.5cm~44.5cm 4匹 【釣り方】フカセ釣り 【水 温】15.9~16.3度 【海 上】多少波 【 潮 】下り・速い 【釣り人】豊田...
