川崎渡船– Author –
-
最新釣果情報
5月15日の釣果情報です。
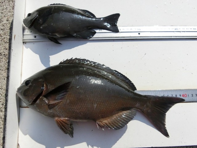
【釣り人】高槻市 西里政良さん 半夜釣り 【釣 果】尾長 28.5cm~38cm 3匹 ぐれ 34cm 1匹 石鯛 34cm 1匹 【釣り方】フカセ釣り 【水 温】20.5度 【海 上】ナギ 【 潮 ... -
最新釣果情報
5月14日の釣果情報です。
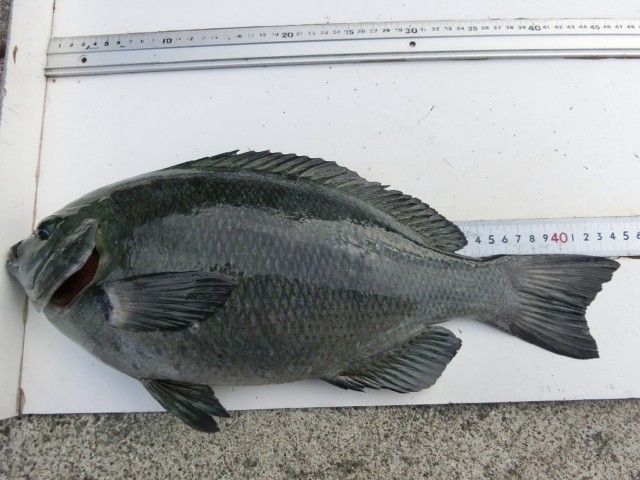
【釣り人】堺市 打越 透さん 【釣 果】ぐれ 39.5cm 1匹 【釣り方】フカセ釣り 【水 温】 【海 上】高波~ナギ 【 潮 】下り・速い 【釣り人】大阪市 平崎正明さん 【釣 果】ぐれ 37cm 1匹 【釣り方】フカセ釣... -
最新釣果情報
5月12日の釣果情報です。
【釣り人】奈良市 田中秀典さん 一瞬、左に流れた時に釣れました。 【釣 果】尾長 25.5cm~34.5cm 4匹 【釣り方】フカセ釣り 【水 温】18.6度 【海 上】ナギ 【 潮 】上り・速い -
最新釣果情報
5月11日の釣果情報です。
【釣り人】吉野郡 小川純史さん 【釣 果】ぐれ 35cm 1匹 【釣り方】フカセ釣り 【水 温】18.6度 【海 上】多少波 【 潮 】上り・速い -
最新釣果情報
5月10日の釣果情報です。
【釣り人】枚方市 中堀憲次さん 【釣 果】ぐれ 41.8cm 1匹 【釣り方】フカセ釣り 【水 温】18.6度 【海 上】ナギ~高波 【 潮 】下り・速い -
最新釣果情報
5月8日の半夜釣り。
半夜釣り 【釣り人】大阪市 小松明夫さん 【釣 果】アオリイカ 200g~600g 2ハイ 【釣り方】ヤエン釣り 【水 温】18.6~18.8度 【海 上】ナギ 【 潮 】下り・速い 半夜釣り 【釣り人】高槻市 西里政良さん ハリ... -
最新釣果情報
5月8日の釣果情報です。
【釣り人】瑞穂市 森 教雄さん 午前 11時半で、帰国に着く。 【釣 果】アカゴロ 32cm 1匹 ガシ 24cm 1匹 【釣り方】ルアー釣り 【水 温】18.6~19.0 【海 上】ナギ 【 潮 】遅い -
最新釣果情報
5月7日の半夜釣り。
【釣り人】富田林市 湯原 勝さん 半夜釣り 【釣 果】ぐれ 38cm 1匹 尾長 26cm~34.5cm 2匹 【釣り方】フカセ釣り 【水 温】18.6~19.1度 【海 上】ナギ 【 潮 】下り・速い 【釣り人】奈良...
