川崎渡船– Author –
-
最新釣果情報
4月15日の釣果情報です。
【釣り人】高市郡 松尾芳則さん 【釣 果】ぐれ 38.3cm 1匹 【釣り方】フカセ釣り 【水 温】16.5度 【海 上】南の風波、多少波 【 潮 】上り~下り 【釣り人】門真市 古川弘章さん 【釣 果】石鯛 34.3cm 1匹 【釣り... -
最新釣果情報
4月14日の釣果情報です。
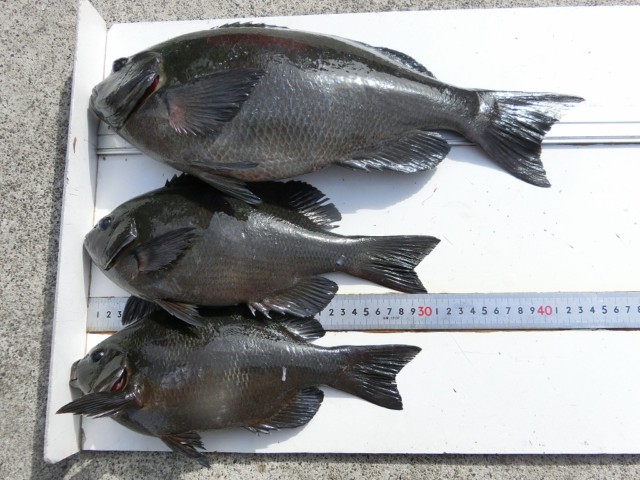
【釣り人】東大阪市 田中良明さん 10時から、当たりが無く11時半で帰国に着く。 【釣 果】ぐれ 34.5cm~39cm 3匹 【釣り方】フカセ釣り 【水 温】16.5度 【海 上】多少波 【 潮 】上り~下り 【釣り人】奈... -
最新釣果情報
4月13日の釣果情報です。
【釣り人】鈴鹿市 大井 真さん 中層でヒット !! 【釣 果】ハマチ 51cm 1匹 【釣り方】ルアー釣り 【水 温】16.5度 【海 上】ナギ 【 潮 】上り -
最新釣果情報
4月9日の釣果情報です。
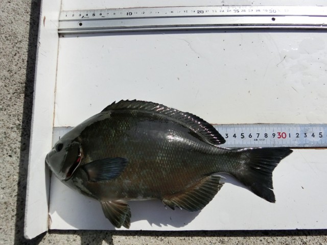
【釣り人】桜井市 石松義隆さん 高波の中、頑張ってくれました。 【釣 果】ぐれ 31cm~45cm 4匹 【釣り方】フカセ釣り 【水 温】16.5度 【海 上】高波 【 潮 】下り 【釣り人】奈良市 柳 めぐみさん 【釣 果】... -
最新釣果情報
4月6日の釣果情報です。
【釣り人】御所市 阪本政宜さん 昼前から、南の風、南の波が次第に高くなりつつ最後まで頑張ってくれました。 【釣 果】ぐれ 31.3cm~36cm 2匹 【釣り方】フカセ釣り 【水 温】16.1度 【海 上】多少波~高波 【 潮 ... -
最新釣果情報
4月5日の釣果情報です。
【釣り人】宝塚市 和田章夫さん 1頭目で、50cmオーバー釣りましたか゛イケスから逃走 !! 【釣 果】ぐれ 44~45.2cm 2匹 ぐれ 34.5cm~36.7cm 2匹 【釣り方】フカセ釣り 【水 温】16.5度 【海 ... -
最新釣果情報
4月4日の釣果情報です。
【釣り人】南牟婁郡 坂口記生さん お客さんは、1人でした。 【釣 果】ぐれ 31.5cm~32.5cm 2匹 【釣り方】フカセ釣り 【水 温】16.5度 【海 上】ナギ 【 潮 】下り・速い -
最新釣果情報
4月3日の釣果情報です。
【釣り人】神戸市 南 茂行さん 高波の中、頑張ってくれました。 【釣 果】ぐれ 40cm~43.5cm 2匹 尾長 34cm 1匹 ぐれ 35cm~38cm 2匹 イサキ 32cm 1匹 【釣り方】...
