川崎渡船– Author –
-
最新釣果情報
6月19日の釣果情報です。
半夜釣り 【釣り人】大和高田市 千葉 猛さん 【釣 果】尾長 31cm~36cm 2匹 【釣り方】フカセ釣り 【水 温】22.3度 【海 上】高波 【 潮 】下り・速い 半夜釣り 【釣り人】大阪市 脇本耕司さん 【釣 果】尾長 37.5cm ... -
最新釣果情報
6月18日の釣果情報です。
【釣り人】寝屋川市 嶋津靖久さん 【釣 果】ぐれ 36cm~40cm 2匹 【釣り方】フカセ釣り 【水 温】21.7度 【海 上】多少波 【 潮 】下り・速い 【釣り人】有田郡 福原章展さん 【釣 果】イサキ 24.5cm~29cm 4匹... -
最新釣果情報
6月17日の釣果情報です。
【釣り人】香芝市 田中 亨さん 【釣 果】イサキ 40cm 2匹 イサキ 32cm~35cm 3匹 【釣り方】カゴ釣り 【水 温】21.8~23.0度 【海 上】ナギ 【 潮 】下り・速い 【釣り人】奈良市 柳 めぐみさん 【... -
最新釣果情報
6月16日の釣果情報です。
半夜釣り 【釣り人】大阪市 吉野 出さん 【釣 果】イサキ 28cm~33.5cm 3匹 【釣り方】カゴ釣り 【水 温】21.8度 【海 上】ナギ 【 潮 】下り・速い -
最新釣果情報
6月14日の釣果情報です。
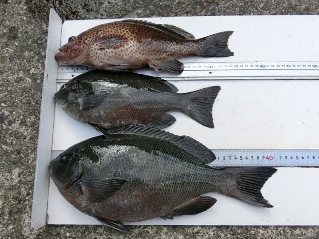
【釣り人】半田市 都築直剛さん 【釣 果】イシガキ 36.7cm 1匹 【釣り方】底物釣り 【水 温】21.7~22.0度 【海 上】ナギ 【 潮 】上り~下り・速い 【釣り人】大阪市 平崎正明さん 【釣 果】イサキ 44.5cm 1匹... -
最新釣果情報
6月13日の釣果情報です。
【釣り人】大阪市 杉本太一さん 【釣 果】イサキ 31cm~34.5cm 3匹 【釣り方】カゴ釣り 【水 温】21.7度 【海 上】ナギ 【 潮 】上り~下り・速い 【釣り人】吉野郡 谷口彰克久さん 【釣 果】イサキ 28cm~34cm 3匹 【... -
最新釣果情報
6月12日の釣果情報です。
【釣り人】高槻市 西里政良さん 尾長 40オーバー 水面まで浮かしましたが、針ハズレ。 【釣 果】イサキ 39cm 1匹 アズキマス 40cm 1匹 【釣り方】フカセ釣り 【水 温】21.8度 【海 上】ナギ 【 潮 ... -
最新釣果情報
6月11日の半夜釣りです。
宮本正法さんが半夜で、ブリのナブラが有り足元でボイルになり、ルアーでヒットしましたが針ハズレ。 【釣り人】大阪市 今井貴也さん 半夜釣り 【釣 果】尾長 36cm~40cm 2匹 ぐれ 30cm~38cm 4匹 イサ...
