川崎渡船– Author –
- 
	
		
 最新釣果情報
	5月29日の釣果情報です。
【釣り人】御所市 阪本雅宜さん 【釣 果】イシガキ 28cm~36.5cm 4匹 【釣り方】底物釣り 【水 温】22.3度 【海 上】ナギ 【 潮 】下り・遅い 【釣り人】東大阪市 田中良明さん 【釣 果】イシガキ 30.5cm~33.5c... - 
	
		
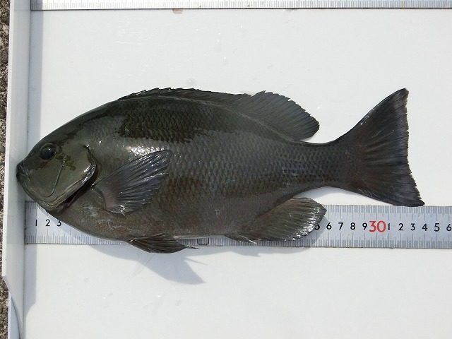
 最新釣果情報
	5月28日の釣果情報です。
【釣り人】和泉市 山本郁夫さん 【釣 果】尾長 33cm 1匹 【釣り方】カゴ釣り 【水 温】22.3度 【海 上】ナギ 【 潮 】下り・遅い 【釣り人】神戸市 高橋保洋さん 【釣 果】イガミ 38cm 1匹 メ... - 
	
		
 最新釣果情報
	5月27日の釣果情報です。
【釣り人】堺市 豊蔵潤吉さん 【釣 果】イシガキ 37.7cm 1匹 【釣り方】底物釣り 【水 温】21.9度 【海 上】多少波 【 潮 】上り・速い - 
	
		
 最新釣果情報
	5月26日の釣果情報です。
【釣り人】神戸市 高橋保洋さん 【釣 果】イガミ 39cm 1匹 【釣り方】フカセ釣り 【水 温】21.5度 【海 上】多少波 【 潮 】下り・遅い - 
	
		
 最新釣果情報
	5月25日の釣果情報です。
【釣り人】神戸市 高橋保洋さん 【釣 果】ぐれ 34cm 1匹 【釣り方】フカセ釣り 【水 温】20.5度 【海 上】多少波 【 潮 】下り・遅い - 
	
		
 最新釣果情報
	5月24日の釣果情報です。
【釣り人】神戸市 高橋保洋さん 【釣 果】ぐれ 42.5cm 1匹 イガミ 38cm~40cm 3匹 【釣り方】フカセ釣り 【水 温】20.1度 【海 上】多少波 【 潮 】下り・遅い 【釣り人】大阪市 北村博司さん ... - 
	
		
 最新釣果情報
	5月23日の釣果情報です。
【釣り人】名古屋市 水田博之さん 半夜釣り 【釣 果】イサキ 41cm 1匹 【釣り方】フカセ釣り 【水 温】19.5度 【海 上】多少波 【 潮 】下り・遅い - 
	
		
 最新釣果情報
	5月22日の釣果情報です。
【釣り人】川口さん 【釣 果】ヒラスズキ 50cm 1匹 アカハタ 25cm~30cm 3匹 【釣り方】ルアー釣り 【水 温】19.5度 【海 上】多少波 【 潮 】下り・遅い 
