川崎渡船– Author –
- 
	
		
 最新釣果情報
	6月7日の釣果情報です。
【釣り人】香芝市 近藤佑紀さん 【釣 果】シイラ 80cm 1匹 アカハタ 29cm 1匹 【釣り方】ルアー釣り 【水 温】23.2度 【海 上】ナギ 【 潮 】上り・速い 【釣り人】大阪市 松井敏之さん 【釣 果... - 
	
		
 最新釣果情報
	6月6日の釣果情報です。
【釣り人】御所市 北村翔太さん 【釣 果】アカハタ 22cm~29cm 8匹 イシガキ 1匹 【釣り方】ルアー釣り 【水 温】23.2度 【海 上】ナギ 【 潮 】下り・速い 【釣り人】豊中市 塚本裕... - 
	
		
 最新釣果情報
	6月5日の釣果情報です。
【釣り人】名古屋市 森 俊介さん 【釣 果】シイラ 86cm 1匹 【釣り方】ルアー釣り 【水 温】23.2度 【海 上】ナギ 【 潮 】上り・速い 【釣り人】葛城市 伊勢田 誠さん 【釣 果】石鯛 45.7cm 1匹 【釣り方... - 
	
		
 最新釣果情報
	6月4日の釣果情報です。
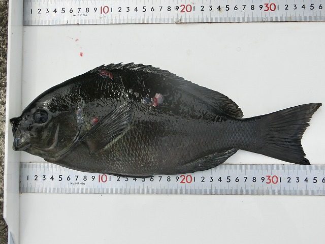
【釣り人】東大阪市 真鍋文男さん 【釣 果】ぐれ 35.5cm 1匹 【釣り方】フカセ釣り 【水 温】23.2度 【海 上】ナギ 【 潮 】下り・遅い 【釣り人】四条畷市 山岡三郎さん 【釣 果】アカハタ 28.5cm 1匹 【釣り方... - 
	
		
 最新釣果情報
	6月3日の釣果情報です。
【釣り人】稲沢市 小久保 貴章さん 【釣 果】アオリイカ 300g前後 7杯 【釣り方】エギ釣り 【水 温】23.2度 【海 上】ナギ 【 潮 】下り・遅い 【釣り人】四条畷市 山岡三郎さん 半夜釣り 【釣 果】ぐれ... - 
	
		
 最新釣果情報
	6月2日の釣果情報です。
【釣り人】一宮市 尾関 功さん 【釣 果】ヒラスズキ 62cm 1匹 【釣り方】ルアー釣り 【水 温】22.3~23.2度 【海 上】多少波 【 潮 】下り・遅い 【釣り人】上北山村 大谷信雄さん 半夜釣り 【釣 果】アオリイカ... - 
	
		
 最新釣果情報
	6月1日の釣果情報です。
【釣り人】大和高田市 山本賢治さん 【釣 果】ヒラスズキ 54cm 1匹 尾長 32.5cm 1匹 アカハタ 25.5cm~35cm 2匹 【釣り方】フカセ釣り 【水 温】23.3度 【海 上】多少波 【 潮 】... - 
	
		
 最新釣果情報
	5月30日の釣果情報です。
シイラ、回遊中 !! 【釣り人】知多市 トリゴエ リョウタロウさん 【釣 果】シイラ 73cm~78cm 2匹 シイラ、数バラシあり !! 【釣り方】ルアー釣り 【水 温】23.2度 【海 上】ナギ 【 潮 】上り・遅い 【... 
