川崎渡船– Author –
-
最新釣果情報
11月 12日の釣果情報です。
【釣り人】枚方市 岡南次郎さん 今日は、二刀流。【釣 果】イシガキ 30cm 1匹 尾長 24cm 4匹 【釣り方】底物釣り・フカセ釣り【水 温】22.5度 【海 上】多少波~高波 【 潮 】上り・遅い -
最新釣果情報
11月 11日の釣果情報です。
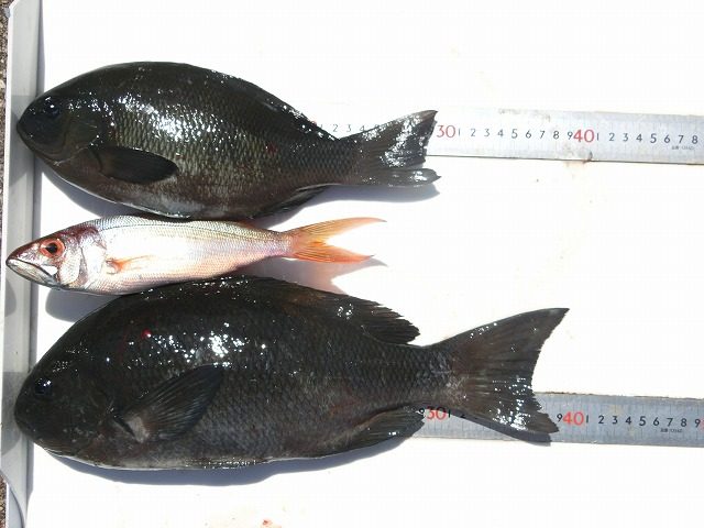
【釣り人】堺市 橋埜雅晴さん【釣 果】イシガキ 37.5cm~40.5cm 2匹 【釣り方】底物釣り【水 温】23.5度 【海 上】ナギ 【 潮 】下り・遅い 【釣り人】枚方市 岡南次郎さん【釣 果】イシガキ 26cm~28m 2匹 ... -
最新釣果情報
11月 10日の釣果情報です。
【釣り人】南牟婁郡 阪口記生さん【釣 果】イシガキ 25.5cm~32cm 12匹 【釣り方】底物釣り【水 温】23.0度 【海 上】ナギ 【 潮 】上り・速い -
最新釣果情報
11月 9日の釣果情報です。
【釣り人】宇陀市 勝山常雄さん【釣 果】ぐれ 28cm~41cm 7匹 ヤイトガツオ 35.5cm 1匹【釣り方】フカセ釣り【水 温】22.2度 【海 上】ナギ 【 潮 】上り・速い 【釣り人】大阪市 脇本耕司さん【釣 ... -
最新釣果情報
11月 8日の釣果情報です。
【釣り人】八尾市 原山輝二さん【釣 果】イシガキ 27cm~38cm 6匹 【釣り方】底物釣り【水 温】21.7度 【海 上】ナギ 【 潮 】上り・速い 【釣り人】河南町 松井晋太郎さん【釣 果】尾長 24cm~25cm 9匹 ... -
最新釣果情報
11月 7日の釣果情報です。
【釣り人】四日市市 千々千 将太さん シイラ、全部リリースしてきました。【釣 果】ハマチ 43.3cm 1匹 シイラ 50cm~70cm 4匹【釣り方】ルアー釣り 【水 温】22.2度 【海 上】ナギ 【 潮 】速い・速い... -
最新釣果情報
11月 6日の釣果情報です。
【釣り人】岐阜市 伊藤啓志さん【釣 果】クエ 53.4cm 1匹 【釣り方】クエ釣り【水 温】22.0度 【海 上】ナギ 【 潮 】下り・速い 【釣り人】大阪市 門 正章さん【釣 果】イシガキ 27cm~38cm 16匹 イシガキ... -
最新釣果情報
11月 5日の釣果情報です。
【釣り人】宇陀市 勝山常雄さん【釣 果】尾長 31.4cm~38.3cm 2匹 アカハタ 28.5cm 1匹【釣り方】フカセ釣り【水 温】22.2度 【海 上】ナギ 【 潮 】下り・遅い 【釣り人】京都市 吉岡保仁さん【釣...
