川崎渡船– Author –
-
最新釣果情報
11月 30日の釣果情報です。
お知らせ !! 12月 1日、2日は、船のペンキ塗りでお休みになってます。 12月 3日から、出船しますので宜しくお願いします。 【釣り人】岐阜市 木村正幸さん【釣 果】オオモンハタ 23.5cm~33cm 5匹 アカハタ ... -
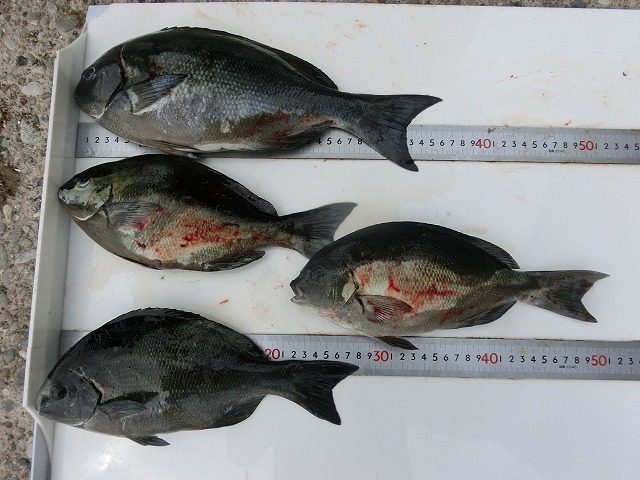
最新釣果情報
11月 29日の釣果情報です。
お知らせ !! 12月 1日、2日は、船のペンキ塗りでお休みになります。 12月 3日から、出船しますので宜しくお願いします。 【釣り人】伊丹市 尾上さん【釣 果】ぐれ 28.5cm~31.5cm 2匹 イサキ 36cm 1匹 【釣... -
最新釣果情報
11月 28日の釣果情報です。
【釣り人】寝屋川市 嶋津靖久さん【釣 果】尾長 30cm~30.5cm 3匹 ぐれ 31cm~41cm 4匹 イサキ 28.2cm~38cm 4匹 【釣り方】フカセ釣り【水 温】21.8度 【海 上】多少波~ナギ 【潮 】下り... -
最新釣果情報
11月 26日の釣果情報です。
【釣り人】羽曳野市 北川 譲さん 【釣 果】尾長 27.5cm~28cm 3匹 【釣り方】フカセ釣り【水 温】21.8度 【海 上】ナギ 【 潮 】下り・遅い 【釣り人】羽曳野市 中島勝美さん 【釣 果】カワハギ 23.2cm~26cm... -
最新釣果情報
11月 25日の釣果情報です。
クエのサイズが、間違っていました。 87cmでした。 【釣り人】岐阜市 伊藤啓志さん 奮闘中 !! 今年、クエ 3匹目釣りあげました !! 【釣 果】クエ 87cm 1匹 9.38㎏ 【釣り方】クエ釣り【水 温】21.8度 【海 ... -
最新釣果情報
11月 24日の釣果情報です。
【釣り人】宝塚市 野瀬修一さん【釣 果】イシガキ 28.2cm~29.5cm 2匹 【釣り方】底物釣り【水 温】21.8度 【海 上】ナギ 【 潮 】下り・速い 【釣り人】奈良市 橋本幸男さん 【釣 果】イシガキ 27cm~31.5cm... -
最新釣果情報
11月 23日の釣果情報です。
【釣り人】大阪市 山崎 修さん【釣 果】オオモンハタ 45cm 1匹 【釣り方】クエ釣り【水 温】21.8度 【海 上】多少波 【 潮 】下り・速い 【釣り人】甲賀市 藤田浩介さん【釣 果】イシガキ 36cm~42.5cm 2匹 【釣... -
最新釣果情報
11月 22日の釣果情報です。
【釣り人】甲賀市 さやっぺー【釣 果】石鯛 43.2cm 1匹 【釣り方】底物釣り【水 温】22.2~22.5度 【海 上】多少波 【 潮 】下り・速い 【釣り人】甲賀市 中井 潤さん【釣 果】石鯛 52.5cm 1匹 ア...
