最新釣果情報– category –
-
5月17日の釣果情報です。
【釣り人】岡崎市 西 毅さん デカバン、バラシが多かった。 【釣 果】尾長 26cm~31cm 6匹 ぐれ 30cm~34cm 4匹 【釣り方】フカセ釣り 【水 温】20.0度 【海 上】ナギ 【 潮 】下り・速い -
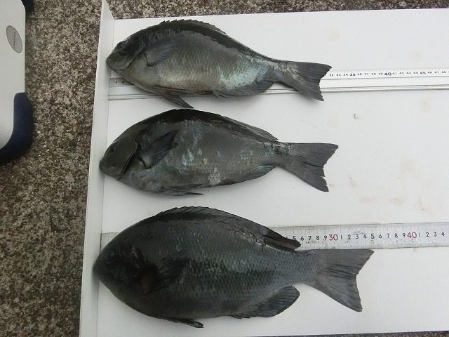
5月16日の釣果情報です。
【釣り人】泉大津市 佐藤克司さん 【釣 果】ぐれ 32cm~35cm 3匹 【釣り方】フカセ釣り 【水 温】20.0度 【海 上】ナギ 【 潮 】下り・速い -
5月15日、半夜釣りの釣果情報です。
【釣り人】大和高田市 千葉 猛さん 半夜釣り 【釣 果】チヌ 40.5cm 1匹 尾長 30.5cm 2匹 【釣り方】フカセ釣り 【水 温】 【海 上】多少波 【 潮 】下り・速い -
5月15日の釣果情報です。
【釣り人】南牟婁郡 阪口記生さん 【釣 果】石鯛 48.4cm 1匹 餌 サザエ 【釣り方】底物釣り 【水 温】19.2度 【海 上】高波~多少波 【 潮 】下り・上り・速い 【釣り人】神戸市 高橋保洋さん 【釣 果】... -
5月14日の釣果情報です。
【釣り人】神戸市 高橋保洋さん 【釣 果】ぐれ 33cm 1匹 【釣り方】フカセ釣り 【水 温】度 【海 上】高波 【 潮 】上り・速い 【釣り人】四条畷市 山岡三郎さん 【釣 果】イガミ 33.3cm 1匹 【釣り方】フカ... -
5月13日の釣果情報です。
今日は、朝から雨でした。 【釣り人】草津市 中廣敬之さん 【釣 果】キジハタ 37.5cm 1匹 アカハタ 23.5~29cm 5匹 ガシ 2匹 【釣り方】ルアー釣り 【水 温】18.9~19.1度 【海... -
5月12日半夜釣りの釣果情報です。
【釣り人】富田林市 湯原 勝さん 半夜釣り 【釣 果】ぐれ 32cm 2匹 尾長 27cm~28cm 2匹 【釣り方】フカセ釣り 【水 温】 【海 上】多少波 【 潮 】下り・速い -
5月12日の釣果情報です。
【釣り人】羽曳野市 北川 譲さん 【釣 果】ぐれ 38cm 1匹 尾長 28cm~33cm 6匹 カワハギ 1匹 【釣り方】フカセ釣り 【水 温】18.5度 【海 上】ナギ~多少波 【 潮 】下り...