最新釣果情報– category –
-
7月12日の釣果情報です。
【釣り人】神戸市 高橋保洋さん 【釣 果】イサキ 29cm~35.5cm 4匹 【釣り方】フカセ釣り 【水 温】24.9~25.7度 【海 上】多少波 【 潮 】下り・速い -
7月8日の釣果情報です。
【釣り人】名古屋市 佐保英之さん 【釣 果】アカハタ 20cm~31.5cm 5匹 【釣り方】ルアー釣り 【水 温】21.0~23.0度 【海 上】多少波 【 潮 】上り・速い 【釣り人】熊野市 津谷浩憲さん ... -
7月1日の釣果情報です。
【釣り人】碧南市 三宅貴久さん 【釣 果】アカハタ 26.5cm~30cm 4匹 ガシ 27.5cm 1匹 【釣り方】ルアー釣り 【水 温】23.5度 【海 上】多少波 【 潮 】下り・速い 【釣り人】... -
6月30日の、半夜釣りです。
【釣り人】富田林市 武田陣弥さん 半夜釣り 【釣 果】アカハタ 25cm~30cm 2匹 オオモンハタ 27cm~39cm 2匹 【釣り方】ルアー釣り 【水 温】23.3度 【海 上】多少波 【 潮 】下り・速い... -
6月30日の釣果情報です。
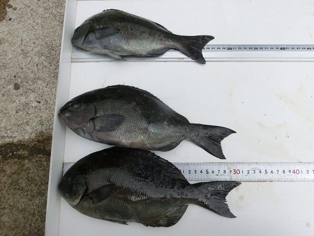
【釣り人】交野市 葛平雅也さん 【釣 果】尾長 27.5cm~30.8cm 3匹 【釣り方】フカセ釣り 【水 温】23.3度 【海 上】多少波 【 潮 】下り・速い 【釣り人】寝屋川市 森 顕さん 【釣 果】尾長 23cm~33.3cm 3匹 ... -
6月29日の釣果情報です。
【釣り人】東大阪市 田中良明さん 【釣 果】イシガキ 29cm~37cm 4匹内、 1匹、リリースしました。 【釣り方】底物釣り 【水 温】21.0度 【海 上】多少波 【 潮 】下り・速い 【釣り人】葛城市 伊勢田 誠さん 【... -
6月27日の釣果情報です。
【釣り人】枚方市 中堀憲次さん 【釣 果】尾長 28cm 1匹 イガミ 37cm 1匹 【釣り方】フカセ釣り 【水 温】22.5~23.1度 【海 上】南の風強風、多少波 【 潮 】下り・速い 【釣り人】御浜町 屋敷健一... -
6月26日の釣果情報です。
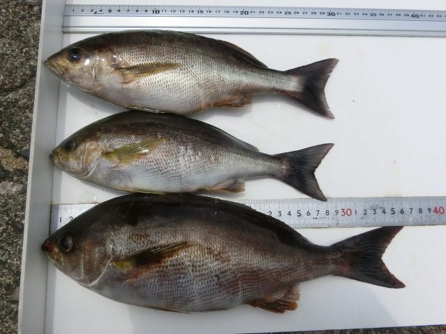
【釣り人】香芝市 田中 亨さん 【釣 果】イサキ 29cm~36cm 3匹 【釣り方】カゴ釣り 【水 温】22.5度 【海 上】多少波 【 潮 】下り・速い 【釣り人】八尾市 中村充男さん 【釣 果】尾長 28.5cm~34.5cm 2匹 ...