最新釣果情報– category –
-
7月19日の釣果情報です。
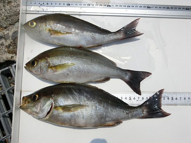
【釣り人】神戸市 高橋保洋さん 【釣 果】イサキ 28cm~35m 3匹 【釣り方】フカセ釣り 【水 温】28.5度 【海 上】多少波 【 潮 】下り~上り・速い 【釣り人】京都市 今村万寿夫さん 【釣 果】イシガキ 40.3cm... -
7月18日の釣果情報です。
【釣り人】宝塚市 野瀬修一さん 【釣 果】イシガキ 23cm~25.5cm 3匹 【釣り方】底物釣り 【水 温】28.5~30.1度 【海 上】ナギ 【 潮 】上り・速い 【釣り人】堺市 中原吉弘さん 【釣 果】ぐれ 33m 1匹 ... -
7月17日の釣果情報です。
【釣り人】知多市 新海達也さん 【釣 果】アカハタ 24cm~30cm 3匹 オオモンハ 27cm 1匹 【釣り方】ルアー釣り 【水 温】29.0度 【海 上】ナギ 【 潮 】下り・速い 【釣り人】神戸市 高橋保... -
7月16日の釣果情報です。
【釣り人】知多郡 戸田春明さん 2人で。 【釣 果】アカハタ 20cm~28cm 8匹 【釣り方】ルアー釣り 【水 温】27.5~28.5度 【海 上】多少波 【 潮 】下り・速い 【釣り人】大阪市 小松明夫さん 【釣 果】... -
7月15日の釣果情報です。
【釣り人】和泉市 山本郁夫さん 40cmオーバー水面まで浮かしましたが、サヨナラでした。 【釣 果】本ガツオ 51cm 1本 イサキ 27cm~33cm 2匹 【釣り方】カゴ釣り 【水 温】28.0度 【海 上】ナギ ... -
7月14日の半夜釣り釣果情報です。
【釣り人】御所市 北村翔太さん 半夜釣り 【釣 果】アカハタ 23cm~31cm 10匹 オオモンハタ 50.3cm 1匹 ツバス 入れ食い。 シイラ 55cm前後 2匹 【釣り方】ル... -
7月14日の釣果情報です。
【釣り人】東淀川区 出口 修さん 【釣 果】ぐれ 32cm 1匹 尾長 25cm~28cm 4匹 コッパが、多かった。 【釣り方】フカセ釣り 【水 温】25.0~29.0度 【海 上】ナギ 【 潮 】上り・速い &n... -
7月13日の釣果情報です。
【釣り人】神戸市 高橋保洋さん 【釣 果】ぐれ 31.5cm 1匹 コッパが、多かった。 【釣り方】フカセ釣り 【水 温】24.9~25.7度 【海 上】多少波 【 潮 】下り・速い