最新釣果情報– category –
-
8月31日の釣果情報です。
【釣り人】四条畷市 山岡三郎さん 【釣 果】イガミ 35..5cm 1匹 ぐれ 37.5cm 1匹 尾長 26cm 1匹 【釣り方】フカセ釣り 【水 温】27.0度 【海 上】ナギ 【 潮 】上り・速い -
8月30日の釣果情報です。
【釣り人】南牟婁郡 塩崎幸良さん 【釣 果】イシガキ 24cm~37cm 6匹 【釣り方】底物釣り 【水 温】27.0度 【海 上】ナギ 【 潮 】上り・速い -
8月29日の釣果情報です。
【釣り人】岐阜市 伊藤啓志さん 【釣 果】石鯛 45.5cm 1匹 イシガキ 35cm 1匹 【釣り方】底物釣り 【水 温】27.5度 【海 上】ナギ 【 潮 】上り・速い 【釣り人】宝塚市 野瀬修一さん 【釣 果... -
8月28日の釣果情報です。
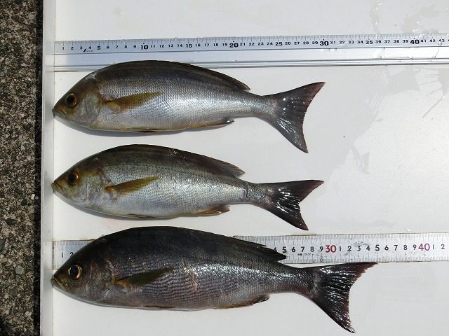
【釣り人】堺市 仙 稔郎さん 【釣 果】イサキ 29cm~35cm 3匹 【釣り方】カゴ釣り 【水 温】27.5度 【海 上】ナギ 【 潮 】上り~下り・速い -
8月26日の釣果情報です。
半夜釣り 【釣り人】堺市 打越 透さん 【釣 果】イサキ 43cm 1匹 ぐれ 31cm 1匹 シオ 32cm 1匹 イガミ 30cm 1匹 【釣り方】フカセ釣り -
8月26日の釣果情報です。
【釣り人】西宮市 新谷健一さん 【釣 果】アカハタ 18cm~33.5cm 12匹 アカハタ、20cm以下は、20匹ぐらいリリースしました。 【釣り方】ルアー釣り 【水 温】 【海 上】高波 ~多少波 【 潮 】下り・速い 【... -
8月23日、台風 20号 木本港。
台風 20号、木本港。 午後 16時。 午後 17時30分。 木本港、マプリカ。 -
8月19日の釣果情報です。
【釣り人】神戸市 高橋保洋さん 【釣 果】イサキ 34cm~38.5cm 2匹 サンバソ 1匹 【釣り方】フカセ釣り 【水 温】26.5度 【海 上】台風の高波 ・ウネリ大 【 潮 】下り・速い 【釣り人...