最新釣果情報– category –
-
11月18日の釣果情報です。
【釣り人】尾鷲市 樋口伸二さん 【釣 果】イガミ 25.5cm~41cm 29匹 【釣り方】イガミ釣り 【水 温】 20.7度 【海 上】ナギ 【 潮 】下り・速い 【釣り人】尾鷲市 上村 豊さん 【釣 果】イガミ 27.5cm~38.5... -
11月17日の釣果情報です。
【釣り人】大阪市 友田義久さん 【釣 果】アオリイカ 600g~800g 3バイ ツバス 41.5cm 1匹 アカハタ 2匹 【釣り方】エギ釣り・ルアー釣り 【水 温】 20.7度 【海 上】ナ... -
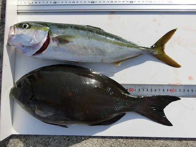
11月16日の釣果情報です。
【釣り人】紀宝町 上水口 吉孝さん 【釣 果】尾長 42.4cm 1匹 ハマチ 42.5cm 1匹 【釣り方】フカセ釣り 【水 温】20.5度 【海 上】多少波 【 潮 】下り・速い 【釣り人】神戸市 高橋保洋さん... -
11月15日の釣果情報です。
【釣り人】半田市 都築直剛さん 【釣 果】石鯛 46.5cm、49cm、58.4cm 計3匹 イシガキ 30.5cm~34cm 3匹 【釣り方】底物釣り 【水 温】20.8度 【海 上】高波 【 潮 】下り・遅い 【釣り人】堺... -
11月14日の釣果情報です。
【釣り人】堺市 橋埜雅晴さん 【釣 果】石鯛 36cm~52.6cm 2匹 【釣り方】底物釣り 【水 温】21.3度 【海 上】多少波 【 潮 】上り・遅い 【釣り人】神戸市 高橋保洋さん 【釣 果】コッパが、多かった。 【釣り方】... -
11月13日の釣果情報です。
【釣り人】大阪市 小松明夫さん 【釣 果】アカハタ 27.5cm~33.5cm 6匹 アカハタ 20cm以下は、数釣りましたが全部リリースしました。 オオモンハタ 30cm 1匹 カワハギ 22.5cm~26cm 3匹 カワ... -
11月12日の釣果情報です。
【釣り人】神戸市 高橋保洋さん 【釣 果】ぐれ 29.5cmまで、数釣れました。 【釣り方】フカセ釣り 【水 温】21.3度 【海 上】多少波 【 潮 】下り~上り -
11月11日の釣果情報です。
【釣り人】神戸市 高橋保洋さん 【釣 果】ハマチ 41cm~44m 2匹 オオモンハタ 30.5cm 1匹 【釣り方】フカセ釣り 【水 温】21.7度 【海 上】多少波 【 潮 】上り・遅い~速い 【釣り人】交野市 古...