最新釣果情報– category –
-
1月21日の釣果情報です。
【釣り人】高槻市 西里政良さん 【釣 果】ぐれ 33cm~39cm 2匹 シマアジ 29.5cm 1匹 【釣り方】フカセ釣り 【水 温】17.0度 【海 上】ナギ 【 潮 】上り・遅い 【釣り人】御所市 阪本雅宜さん 【... -
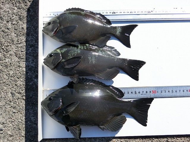
1月20日の釣果情報です。
今日は、ぐれ 30cmまでが数釣れていました。 -
1月19日の釣果情報です。
【釣り人】城陽市 奥田恒雄さん 【釣 果】ぐれ 34cm~37cm 2匹 【釣り方】フカセ釣り 【水 温】16.6~17.0度 【海 上】ナギ 【 潮 】上り・遅い 【釣り人】奈良市 竹村昭之さん 【釣 果】ぐれ 24cm~3... -
1月18日の釣果情報です。
【釣り人】神戸市 高橋保洋さん 【釣 果】ぐれ 28.5cm~30cm 2匹 尾長 27cm 1匹 【釣り方】フカセ釣り 【水 温】16.5度 【海 上】ナギ 【 潮 】上り・遅い 【釣り人】橿原市 畠山さん 【... -
1月17日の釣果情報です。
【釣り人】向日市 安井広文さん 【釣 果】ワラサ 65cm~68cm 2匹 あともう1本は、手前で引きぬこうとしたら針 【釣り方】ルアー釣り 外れて、海にちゃっぼん。 【... -
1月16日の釣果情報です。
【釣り人】稲沢市 小久保 貴章さん 【釣 果】アカハタ 31cm~36.8cm 3匹 ガシ 21cm~22.5cm 2匹 【釣り方】ルアー釣り 【水 温】16.8度 【海 上】ナギ 【 潮 】上り・遅い 【釣り人】神戸市 高橋保洋... -
1月15日の釣果情報です。
【釣り人】大阪市 脇本耕司さん 【釣 果】尾長 26cm~29cm 2匹 ぐれ 31.5cm~35.5cm 5匹 【釣り方】フカセ釣り 【水 温】16.9度 【海 上】多少波 【 潮 】上り・速い 【釣り人】神戸市 高橋保洋... -
1月14日の釣果情報です。
【釣り人】寝屋川市 嶋津靖久さん 【釣 果】ぐれ 32cm 1匹 【釣り方】フカセ釣り 【水 温】17.1度 【海 上】高波 【 潮 】上り・遅い 【釣り人】高槻市 大塚順平さん 【釣 果】ヘダイ 43.9cm 1匹 タ...