最新釣果情報– category –
-
2月9日の釣果情報です。
【釣り人】寝屋川市 森 顕さん 【釣 果】ぐれ 48.8cm 1匹 【釣り方】フカセ釣り 【水 温】17.5度 【海 上】ナギ 【 潮 】下り・遅い 【釣り人】大津市 三木理実さん 【釣 果】尾長 31.3cm 1匹 ヘダ... -
2月3日の釣果情報です。
フカセ釣りは、ぐれ 31cmでした。 帰りにリリースしてきました。 津市の箕澤さん、ルアーでワラサ掛けましたが手前で針ハズレ !! ワラサ、単発ボイルありますよ。 大阪市の三村さん、ルアーでヒラメ釣りましたがヒラメが大きすぎて、たまに入らず... -
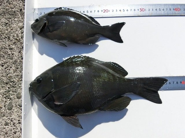
2月2日の釣果情報です。
【釣り人】奈良市 谷奥哲彦さん 【釣 果】ぐれ 35.5cm 1匹 尾長 25.5cm 1匹 【釣り方】フカセ釣り 【水 温】17.0度 【海 上】ナギ 【 潮 】下り・速い 【釣り人】桜井市 島岡徳宏さん 【釣 果】ぐれ ... -
1月29日の釣果情報です。
【釣り人】明石市 小林鋭二さん 【釣 果】ぐれ 33cm~34cm 2匹 【釣り方】フカセ釣り 【水 温】16.2~17.7度 【海 上】多少波 【 潮 】下り・速い 【釣り人】大阪市 岡田耕司さん 【釣 果】ぐれ 34.2cm 1匹 【釣... -
1月28日の釣果情報です。
【釣り人】高槻市 西里政良さん 【釣 果】ぐれ 39cm 1匹 ヘダイ 40.5cm 1匹 【釣り方】フカセ釣り 【水 温】16.2度 【海 上】高波 【 潮 】上り・遅い 【釣り人】奈良市 橋本幸男さん 【釣 果... -
1月27日の釣果情報です。
【釣り人】熊野市 川崎温功さん 【釣 果】ぐれ 33.5cm~38.3cm 3匹 【釣り方】フカセ釣り 【水 温】16.4度 【海 上】ナギ 【 潮 】上り・速い 【釣り人】新宮市 兼本稔彦さん 【釣 果】ぐれ 33.1cm 1匹 【... -
1月24日の釣果情報です。
【釣り人】岐阜市 伊藤啓志さん 【釣 果】イシガキ 37.7cm 1匹 【釣り方】底物釣り 【水 温】16.5度 【海 上】ナギ 【 潮 】上り・速い -
1月22日の釣果情報です。
【釣り人】南牟婁郡 久保さん 【釣 果】ぐれ 30.5cm~33cm 4匹 尾長 27cm 2匹 イサキ 39cm 1匹 【釣り方】フカセ釣り 【水 温】16.5度 【海 上】ナギ 【 潮 】上り・速い 【釣...