最新釣果情報– category –
-
2月18日の釣果情報です。
【釣り人】津市 箕澤啓太さん 初めて、ワラサを釣りました。 【釣 果】ワラサ 71.8cm~73.8cm 2匹 【釣り方】ルアー釣り 【水 温】17.5度 【海 上】ナギ 【 潮 】下り・速い 【釣り人】大阪市 小松明... -
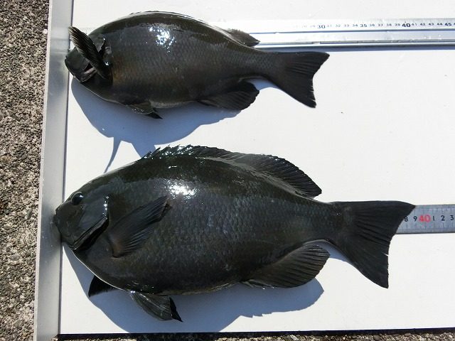
2月17日の釣果情報です。
【釣り人】奈良市 柳 めぐみさん 【釣 果】ぐれ 31cm~39cm 2匹 【釣り方】フカセ釣り 【水 温】17.3度 【海 上】ナギ 【 潮 】下り・速い -
2月16日の釣果情報です。
【釣り人】富田林市 武田陣弥さん 【釣 果】ワラサ 67cm~70cm 2匹 バラシ、ありました。 【釣り方】ルアー釣り 【水 温】16.8度 【海 上】ナギ 【 潮 】下り・速い 【釣り人】春日井市 黒澤大介さん ... -
2月14日の釣果情報です。
【釣り人】神戸市 高橋保洋さん 【釣 果】ぐれ 32.8cm 1匹 【釣り方】フカセ釣り 【水 温】度 【海 上】ナギ 【 潮 】上り・遅い -
2月13日の釣果情報です。
ワラサ、単発ボイルありました。 ルアーに、何回か追いかけて来ましたが針に掛からず。 【釣り人】橿原市 畠山さん 【釣 果】ぐれ 36.7cm 1匹 カワハギ 2匹 【釣り方】フカセ釣り 【水 温】16.5度 【海 上】ナギ... -
2月12日の釣果情報です。
【釣り人】神戸市 高橋保洋さん 【釣 果】ぐれ 35cm~36cm 2匹 【釣り方】フカセ釣り 【水 温】17.1度 【海 上】ナギ 【 潮 】下り・遅い 【釣り人】大阪市 脇本耕司さん 【釣 果】ぐれ 35.2cm 1匹 【釣り... -
2月11日の釣果情報です。
【釣り人】高槻市 大塚順平さん 【釣 果】ぐれ 42.5cm 1匹 【釣り方】フカセ釣り 【水 温】17.2度 【海 上】ナギ 【 潮 】上り・遅い 【釣り人】大阪市 大城秀雄さん 【釣 果】シマアジ 32cm 1匹 ... -
2月10日の釣果情報です。
【釣り人】豊中市 西本 晃さん 【釣 果】アオリイカ 1.2㎏ 1パイ 【釣り方】ヤエン釣り 【水 温】17.3度 【海 上】多少波 【 潮 】下り・遅い 【釣り人】奈良市 柳 康政さん 【釣 果】チヌ 46cm~52cm 2匹 ...